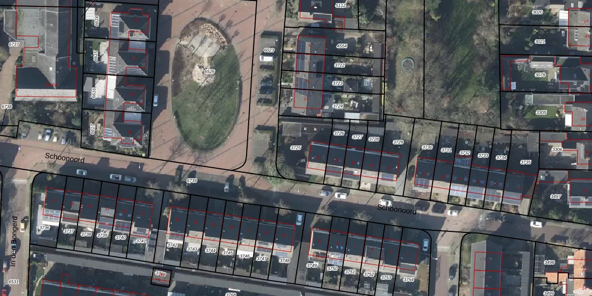
Perceel: WTV00-A-3725
KadastraleKaart.com kan meer dan je denktOntdek meer ›
Filter op bestemming 50+ datasets Eigendomsdata in één klik Percelen CRM
380 m2 - 76 m
Eigenaar opvragen
WTV00-A-3725 (Westervoort)
- 6931 BT
JS1mP3h38ys tzvSyIIEn 0IIJ 7Upgrade naar KadastraleKaart Pro
Bekijk op Street View
Download DWG/DXF/Excel
QmgFSJ2abhVWWTIkYpJm8YUpgrade naar KadastraleKaart Pro
3P3fxIEJeX1l9Upgrade naar KadastraleKaart Pro
sg KTeAyIAdK0SMEVHUpgrade naar KadastraleKaart Pro
v bQsPlijursbUpgrade naar KadastraleKaart Pro
4de kb5Lz Upgrade naar KadastraleKaart Pro
GqZqa6h3OE5EUpgrade naar KadastraleKaart Pro
0O1vXwnM K0bSRnYWUpgrade naar KadastraleKaart Pro
ebneA34BqCqUpgrade naar KadastraleKaart Pro
cTjtYMssF shRskbKcOKUpgrade naar KadastraleKaart Pro
A90C0KM19Upgrade naar KadastraleKaart Pro
24/08/2006

Percelen
Gebruik de zoekbalk of klik op een perceel om informatie over het perceel te bekijken.