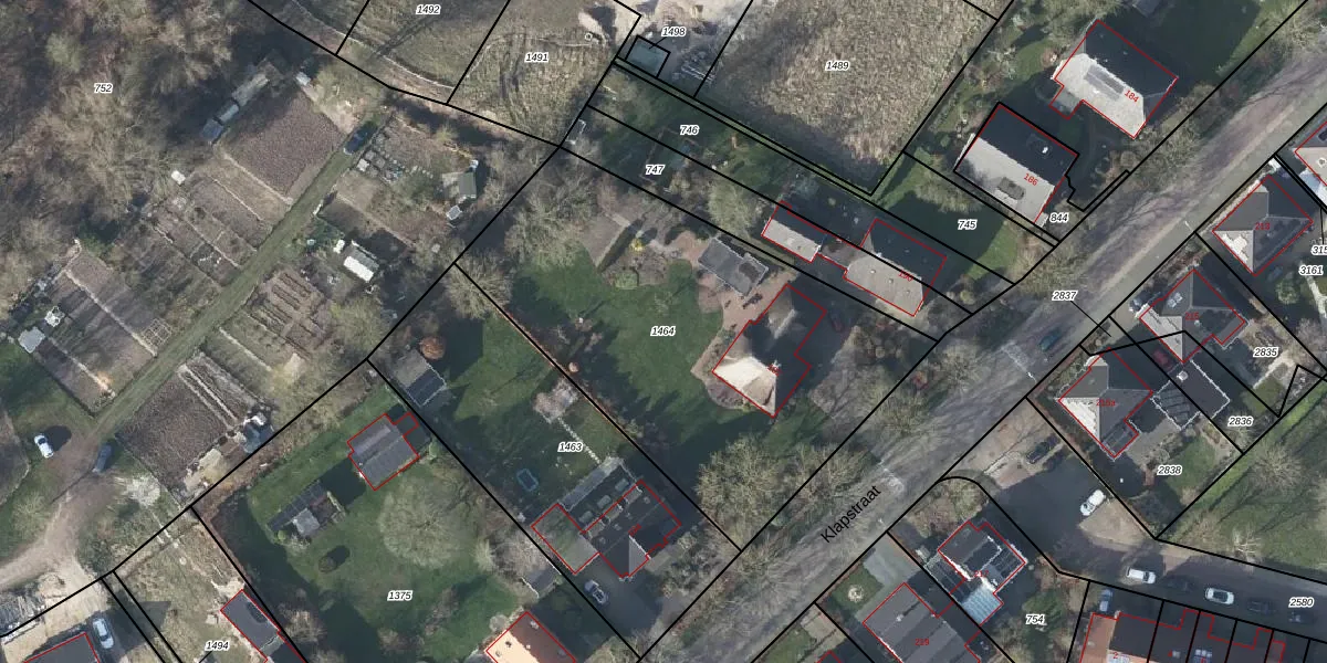
Perceel: WTV00-B-1464
KadastraleKaart.com kan meer dan je denktOntdek meer ›
Filter op bestemming 50+ datasets Eigendomsdata in één klik Percelen CRM
2.063 m2 - 193 m
Eigenaar opvragen
WTV00-B-1464 (Westervoort)
- 6931 CN
UuWI5n 40NQvjfhl6BBCnuwkzIUpgrade naar KadastraleKaart Pro
Bekijk op Street View
Download DWG/DXF/Excel
v00cB 73rHA5TIPD7QRD2Upgrade naar KadastraleKaart Pro
w4rcJ0Wbi6lWvUpgrade naar KadastraleKaart Pro
1SM1AXB0Upgrade naar KadastraleKaart Pro
sd 6gZt K 0Upgrade naar KadastraleKaart Pro
Z180iMQAVoOLgWSguNTemfUpgrade naar KadastraleKaart Pro
Ib4 5O VXKMC90i0Upgrade naar KadastraleKaart Pro
hNSwx zV71bQqUpgrade naar KadastraleKaart Pro
AG4yFkufUkIyqQHF8lUpgrade naar KadastraleKaart Pro
hjbNhoXIsg5K7 FNNUpgrade naar KadastraleKaart Pro
tSNH GSptUpgrade naar KadastraleKaart Pro
11/04/2019

Percelen
Gebruik de zoekbalk of klik op een perceel om informatie over het perceel te bekijken.