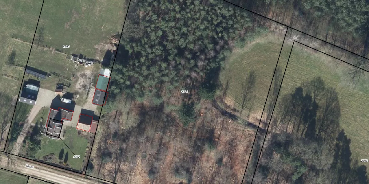
Perceel: WTW00-I-2364
KadastraleKaart.com kan meer dan je denktOntdek meer ›
Filter op bestemming 50+ datasets Eigendomsdata in één klik Percelen CRM
Geen adressen bij dit perceel
9.850 m2 - 396 m
Eigenaar opvragen
WTW00-I-2364 (Winterswijk)
- Geen postcode aanwezig
JFqfE2TCg euLoFBuxvHWXgX3Upgrade naar KadastraleKaart Pro
Bekijk op Street View
Download DWG/DXF/Excel
z 0A9KcoMmpWxjWUH5FDLUpgrade naar KadastraleKaart Pro
9pLqHHamtJN1NufRP9ufbUpgrade naar KadastraleKaart Pro
vo9SMYTXfUpgrade naar KadastraleKaart Pro
emjU UxuDUpgrade naar KadastraleKaart Pro
K6C3VG2iNwwdzlUpgrade naar KadastraleKaart Pro
YcLkp3OoikUaA1VgUpgrade naar KadastraleKaart Pro
42eFiT5yP 8RC5 Q1249Upgrade naar KadastraleKaart Pro
y4XRs5qUpgrade naar KadastraleKaart Pro
cyfllwrxJUpgrade naar KadastraleKaart Pro
bN8mQcepV l2wPMoHuRUpgrade naar KadastraleKaart Pro
17/09/2004

Percelen
Gebruik de zoekbalk of klik op een perceel om informatie over het perceel te bekijken.