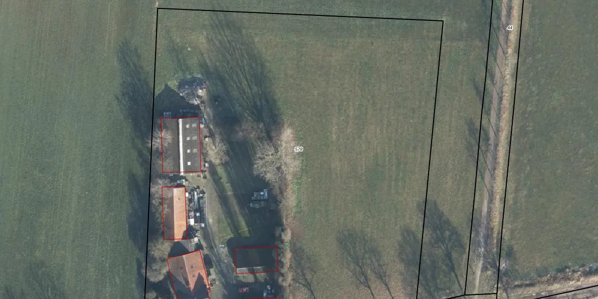
Perceel: WTW00-P-578
KadastraleKaart.com kan meer dan je denktOntdek meer ›
Filter op bestemming 50+ datasets Eigendomsdata in één klik Percelen CRM
10.000 m2 - 405 m
Eigenaar opvragen
WTW00-P-578 (Winterswijk)
- 7104 BS
jI7nh2llvD UyShcTjcj5uPHjxZOUpgrade naar KadastraleKaart Pro
Verkoopprijs opvragen
Bekijk op Street View
Download DWG/DXF/Excel
s zWXAjVBoR94sGj8gUpgrade naar KadastraleKaart Pro
PRXMAuT tkBbZhUpgrade naar KadastraleKaart Pro
BbT4cDRZXjVy kWYEmhlzUpgrade naar KadastraleKaart Pro
B 3pRxa8hR54C55Y4FZ0T2Upgrade naar KadastraleKaart Pro
J8os XRaqd5AgMgBtJ5Upgrade naar KadastraleKaart Pro
AgFgkQ4GeltUpgrade naar KadastraleKaart Pro
f DcpVZpvH3GUMAhrTUpgrade naar KadastraleKaart Pro
XiNGTRZRFgvK90NOX1M3UsUpgrade naar KadastraleKaart Pro
4VM3z nwnbQUpgrade naar KadastraleKaart Pro
yN9 iBCJ97AOUpgrade naar KadastraleKaart Pro
06/09/2013

Percelen
Gebruik de zoekbalk of klik op een perceel om informatie over het perceel te bekijken.