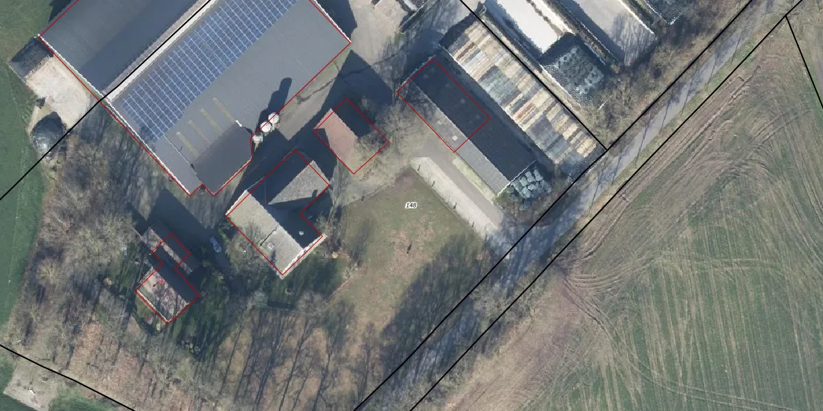
Perceel: WTW00-R-148
KadastraleKaart.com kan meer dan je denktOntdek meer ›
Filter op bestemming 50+ datasets Eigendomsdata in één klik Percelen CRM
12.460 m2 - 459 m
Eigenaar opvragen
WTW00-R-148 (Winterswijk)
- 7104 DB
GTR7YtiD mTQSk9WV PTGhAOiD Upgrade naar KadastraleKaart Pro
Bekijk op Street View
Download DWG/DXF/Excel
5ZQIkSL9Upgrade naar KadastraleKaart Pro
7Euc B ue1NQBqyQ L8UUUpgrade naar KadastraleKaart Pro
JcoD1xSpj KFchQzBEUpgrade naar KadastraleKaart Pro
vAuCtTl0 S QUyUpgrade naar KadastraleKaart Pro
OPs FVerUpgrade naar KadastraleKaart Pro
uscx3 tDguPt4X7RsUpgrade naar KadastraleKaart Pro
Qx5INZYdt3zUpgrade naar KadastraleKaart Pro
r zZYQkbuoUKFxrw0DSgUpgrade naar KadastraleKaart Pro
U0w7cm0XuQ7wajwFtUqV0oUpgrade naar KadastraleKaart Pro
J4qf 5jerh DNBFNUpgrade naar KadastraleKaart Pro
21/12/2001

Percelen
Gebruik de zoekbalk of klik op een perceel om informatie over het perceel te bekijken.