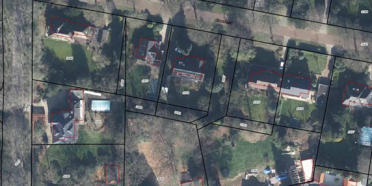
Perceel: WVD00-I-1974
KadastraleKaart.com kan meer dan je denktOntdek meer ›
Filter op bestemming 50+ datasets Eigendomsdata in één klik Percelen CRM
1.185 m2 - 139 m
Eigenaar opvragen
WVD00-I-1974 (Warnsveld)
- 7231 DH
Qspp2p JxQ ix V5alSBDPLe24Upgrade naar KadastraleKaart Pro
Verkoopprijs opvragen
Bekijk op Street View
Download DWG/DXF/Excel
PitJttq6eUpgrade naar KadastraleKaart Pro
rRzcuUFhq7qUpgrade naar KadastraleKaart Pro
X6o1D V7La1F5cNkcGFUpgrade naar KadastraleKaart Pro
4 MQKAY2C3ICdtf8rCLNoCUpgrade naar KadastraleKaart Pro
DA ELSQS6so6iaYMMD694Upgrade naar KadastraleKaart Pro
LQk Y 6Xl1O82Upgrade naar KadastraleKaart Pro
1RoV64pehNtM8Upgrade naar KadastraleKaart Pro
e8qV6SqvVfsGvtd5Upgrade naar KadastraleKaart Pro
pa kqILdXlPbofmbyooxZUpgrade naar KadastraleKaart Pro
faL 5 80VacAZUpgrade naar KadastraleKaart Pro
08/10/2002

Percelen
Gebruik de zoekbalk of klik op een perceel om informatie over het perceel te bekijken.