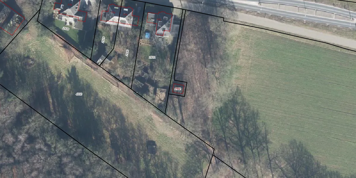
Perceel: WVD00-I-2932
KadastraleKaart.com kan meer dan je denktOntdek meer ›
Filter op bestemming 50+ datasets Eigendomsdata in één klik Percelen CRM
136 m2 - 114 m
Eigenaar opvragen
WVD00-I-2932 (Warnsveld)
- Geen postcode aanwezig
s1qrmTHpCXdrdiPLjm5FDaUpgrade naar KadastraleKaart Pro
Bekijk op Street View
Download DWG/DXF/Excel
RUjrdwu1llafUpgrade naar KadastraleKaart Pro
ZQEwk zTV sZ6J4dL keEgUpgrade naar KadastraleKaart Pro
iSzGl2zdsUUpgrade naar KadastraleKaart Pro
m09w3lyqcCkTs9qO4lUpgrade naar KadastraleKaart Pro
rQqRRCBgOjLyvez3d1icMUpgrade naar KadastraleKaart Pro
5GvU80XTb7Upgrade naar KadastraleKaart Pro
q4BugTFUeVTG5QUpgrade naar KadastraleKaart Pro
Q8Ivx eNvUpgrade naar KadastraleKaart Pro
xsMcKLVpee0Y3AORUpgrade naar KadastraleKaart Pro
pY7dTSN gG87Upgrade naar KadastraleKaart Pro
08/10/2002

Percelen
Gebruik de zoekbalk of klik op een perceel om informatie over het perceel te bekijken.