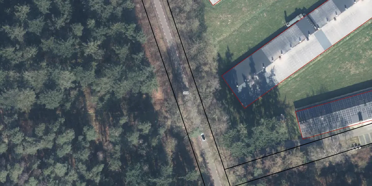
Perceel: WVD00-P-201
KadastraleKaart.com kan meer dan je denktOntdek meer ›
Filter op bestemming 50+ datasets Eigendomsdata in één klik Percelen CRM
Geen adressen bij dit perceel
15.015 m2 - 2.377 m
Eigenaar opvragen
WVD00-P-201 (Warnsveld)
- Geen postcode aanwezig
FY 81QU2 3yhwK CrUpgrade naar KadastraleKaart Pro
Bekijk op Street View
Download DWG/DXF/Excel
igXUe TNz3wCUpgrade naar KadastraleKaart Pro
vRUd9lMynUpgrade naar KadastraleKaart Pro
ZrpRFecmWWEyi5bIqGFm1Upgrade naar KadastraleKaart Pro
zDXyU Rom1lHndyUpgrade naar KadastraleKaart Pro
0yFLpfqbkHAmJY3znl4jf3Upgrade naar KadastraleKaart Pro
tXjfnHxGpQ3xzMcjUyQUjUpgrade naar KadastraleKaart Pro
0EoIeVk aUpgrade naar KadastraleKaart Pro
ihWHNpRAV0bPBTJrUpgrade naar KadastraleKaart Pro
k 3JV7 1DsOtZmWUpgrade naar KadastraleKaart Pro
m3z3t1ZU6Vl9jUpgrade naar KadastraleKaart Pro
04/07/2018

Percelen
Gebruik de zoekbalk of klik op een perceel om informatie over het perceel te bekijken.