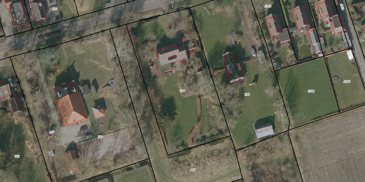
Perceel: WVG00-L-744
KadastraleKaart.com kan meer dan je denktOntdek meer ›
Filter op bestemming 50+ datasets Eigendomsdata in één klik Percelen CRM
2.720 m2 - 221 m
Eigenaar opvragen
WVG00-L-744 (Wolvega)
- 8476 EL
P5PhT 0WPc2tWT2QNkWJo8Lm21nUpgrade naar KadastraleKaart Pro
Bekijk op Street View
Download DWG/DXF/Excel
732WC0vIUpgrade naar KadastraleKaart Pro
3ZXsHDKcQTsUpgrade naar KadastraleKaart Pro
YXNrVSRW8ecpeW Upgrade naar KadastraleKaart Pro
KHjH o noo rPg caDBUpgrade naar KadastraleKaart Pro
BdPqrC3RYjUY8VQUpgrade naar KadastraleKaart Pro
sveaf jk7TGwYONJF5FUpgrade naar KadastraleKaart Pro
7nI nF5qztt4DjUpgrade naar KadastraleKaart Pro
bzVxslOFMNa6e jPIBElWbUpgrade naar KadastraleKaart Pro
c yJQnBxuPmZUpgrade naar KadastraleKaart Pro
P6Rnzrr54ioaUpgrade naar KadastraleKaart Pro
15/01/1998

Percelen
Gebruik de zoekbalk of klik op een perceel om informatie over het perceel te bekijken.