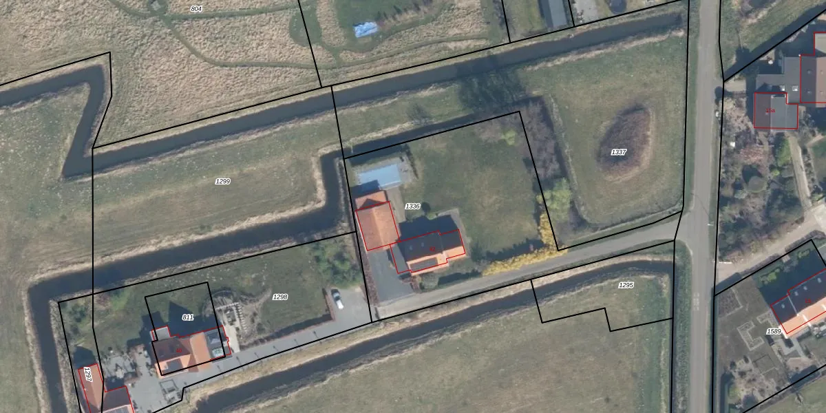
Perceel: WVN00-B-1336
KadastraleKaart.com kan meer dan je denktOntdek meer ›
Filter op bestemming 50+ datasets Eigendomsdata in één klik Percelen CRM
2.000 m2 - 234 m
Eigenaar opvragen
WVN00-B-1336 (Westvoorne)
- 3235 CL
eE6T9OqdMDgWUm TUpgrade naar KadastraleKaart Pro
Verkoopprijs opvragen
Bekijk op Street View
Download DWG/DXF/Excel
EXyoxZdNtuvSLbkUpgrade naar KadastraleKaart Pro
t 4mmKIlAoYb2j SEYUpgrade naar KadastraleKaart Pro
x 2nefJd5QkCmDgqDrb5Upgrade naar KadastraleKaart Pro
GF73g0jTzq8P1kVUhjAUpgrade naar KadastraleKaart Pro
nzV6g SKYUpgrade naar KadastraleKaart Pro
mEvXZLOMUpgrade naar KadastraleKaart Pro
IMqvjnrKq6cFOUpgrade naar KadastraleKaart Pro
qqwf5xrVZJ FUpgrade naar KadastraleKaart Pro
gH45c f kUpgrade naar KadastraleKaart Pro
au3UQIc aSICg2Upgrade naar KadastraleKaart Pro
02/10/2003

Percelen
Gebruik de zoekbalk of klik op een perceel om informatie over het perceel te bekijken.