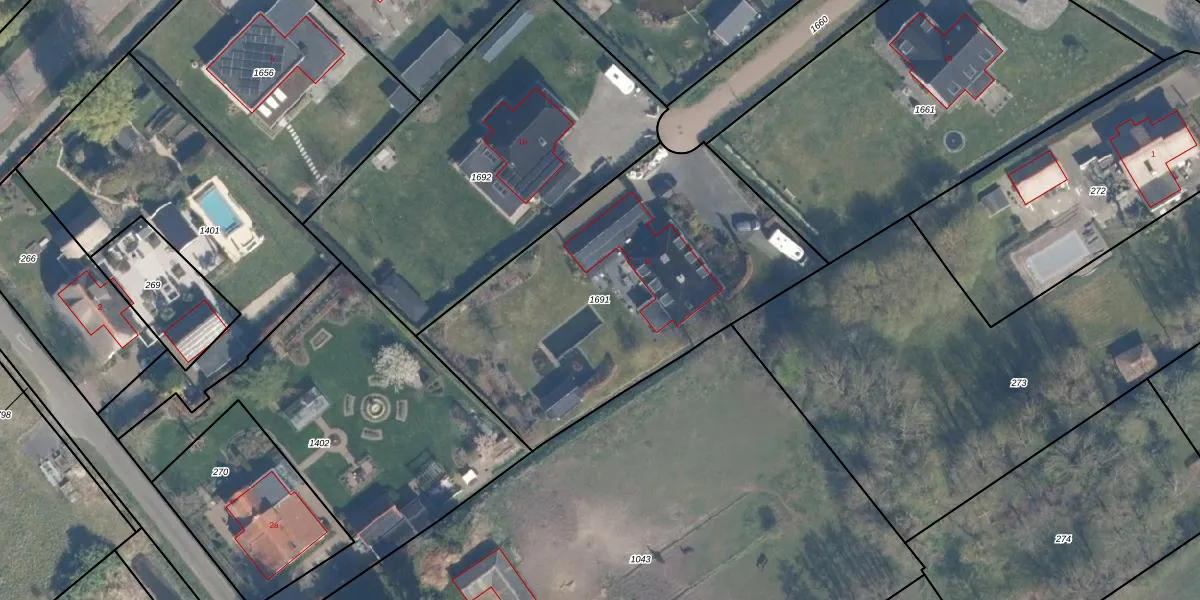
Perceel: WVN00-B-1691
KadastraleKaart.com kan meer dan je denktOntdek meer ›
Filter op bestemming 50+ datasets Eigendomsdata in één klik Percelen CRM
1.700 m2 - 175 m
Eigenaar opvragen
WVN00-B-1691 (Westvoorne)
- 3235 KZ
YSfrO3bB9qFvojnEHUx2SMNk4s3Upgrade naar KadastraleKaart Pro
Bekijk op Street View
Download DWG/DXF/Excel
c4SHjN6XYU gZ4j0u2pUpgrade naar KadastraleKaart Pro
NqdNs9 LUpgrade naar KadastraleKaart Pro
JfsrepA vOtVpNCOSPvqEaUpgrade naar KadastraleKaart Pro
xWH17O hadc6cCgVouJjBSlUpgrade naar KadastraleKaart Pro
G 5JFU0yUhNTRZv1ylUpgrade naar KadastraleKaart Pro
Bd qhVKsxUpgrade naar KadastraleKaart Pro
iEKunf Yuae UGz8 DUpgrade naar KadastraleKaart Pro
Z hBm 7PMu7D uE4I5Upgrade naar KadastraleKaart Pro
Y4jXX8tsUpgrade naar KadastraleKaart Pro
ro 9 YM2Upgrade naar KadastraleKaart Pro
14/02/2017

Percelen
Gebruik de zoekbalk of klik op een perceel om informatie over het perceel te bekijken.