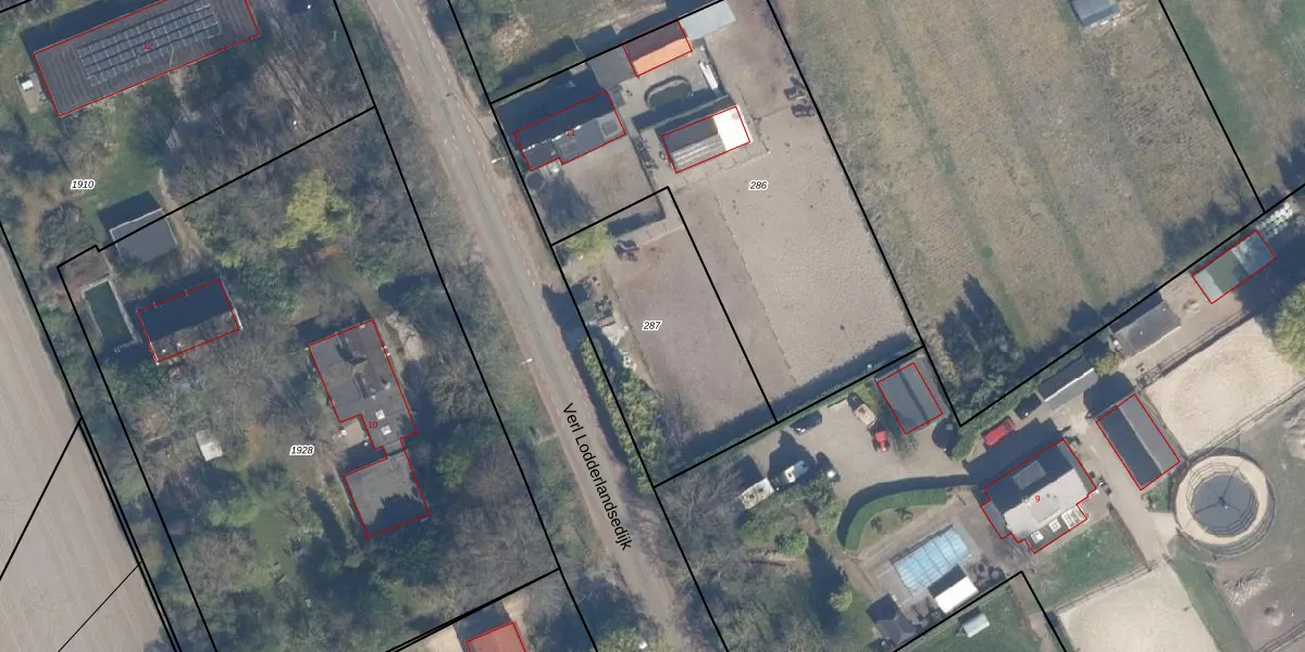
Perceel: WVN00-B-287
KadastraleKaart.com kan meer dan je denktOntdek meer ›
Filter op bestemming 50+ datasets Eigendomsdata in één klik Percelen CRM
Geen adressen bij dit perceel
830 m2 - 122 m
Eigenaar opvragen
WVN00-B-287 (Westvoorne)
- Geen postcode aanwezig
ATG0SWa0ePU6MDSkiUpgrade naar KadastraleKaart Pro
Bekijk op Street View
Download DWG/DXF/Excel
SV14BWYjts IUoH2JXRUpgrade naar KadastraleKaart Pro
1hbdTonx m9Upgrade naar KadastraleKaart Pro
Av 3V4MkkJ9keyAUpgrade naar KadastraleKaart Pro
g1hbe Ov6kUpgrade naar KadastraleKaart Pro
8khZfGxaUpgrade naar KadastraleKaart Pro
oN82gnfbHSa2dhzNi6XUpgrade naar KadastraleKaart Pro
Jo2 sFoosXe7 lZthlUpgrade naar KadastraleKaart Pro
z2mjbII L0GdUpgrade naar KadastraleKaart Pro
Hc 3j03f9ooLyUpgrade naar KadastraleKaart Pro
l VYSCEh9 S yaegVBGUpgrade naar KadastraleKaart Pro
05/07/2001

Percelen
Gebruik de zoekbalk of klik op een perceel om informatie over het perceel te bekijken.