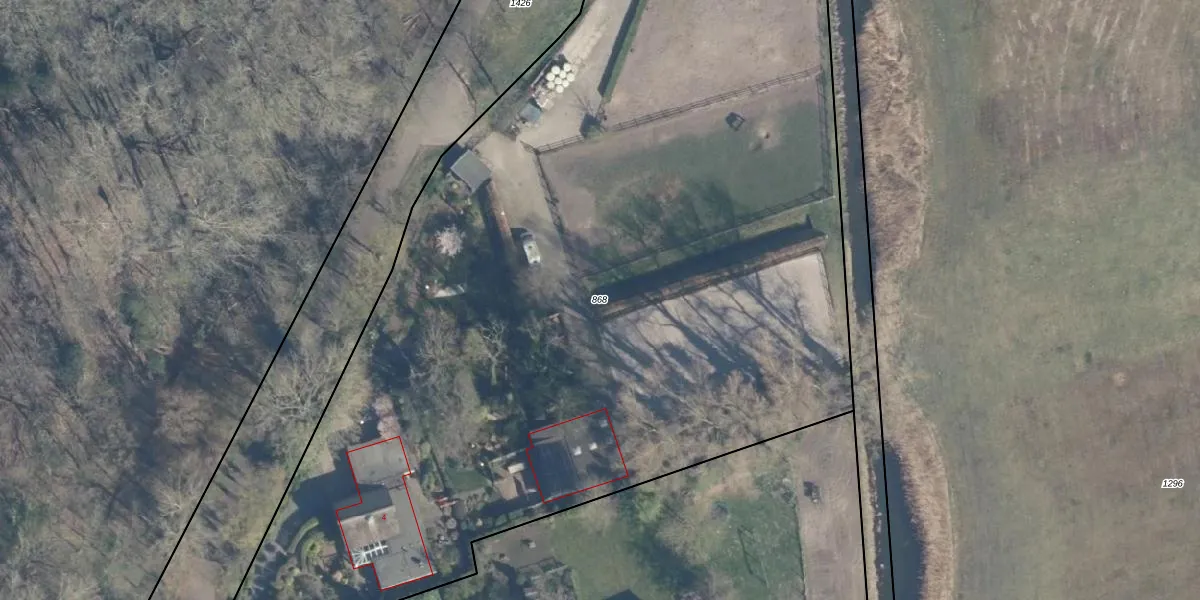
Perceel: WVN00-B-868
KadastraleKaart.com kan meer dan je denktOntdek meer ›
Filter op bestemming 50+ datasets Eigendomsdata in één klik Percelen CRM
6.860 m2 - 371 m
Eigenaar opvragen
WVN00-B-868 (Westvoorne)
- 3235 CP
4oPUzK4P9Hsgusa6JgUpgrade naar KadastraleKaart Pro
Verkoopprijs opvragen
Bekijk op Street View
Download DWG/DXF/Excel
JIVRSL9xqPPnepJoQ X2bOUpgrade naar KadastraleKaart Pro
d6oK6K7HAG4zUpgrade naar KadastraleKaart Pro
2d G cJUpgrade naar KadastraleKaart Pro
AAEOJQh Wq ONT3gA6 iGoUpgrade naar KadastraleKaart Pro
9IEihLUH snJKWEDOuyaIUpgrade naar KadastraleKaart Pro
r8yKFE JOfywz8KFx fIAZUpgrade naar KadastraleKaart Pro
vr4Qy1O5b8cQwsHYbCPUHeUpgrade naar KadastraleKaart Pro
7W9mGohlY Upgrade naar KadastraleKaart Pro
aecc 24HvH WBHi2OcIDUpgrade naar KadastraleKaart Pro
YAHLJ6pUpgrade naar KadastraleKaart Pro
23/12/2009

Percelen
Gebruik de zoekbalk of klik op een perceel om informatie over het perceel te bekijken.