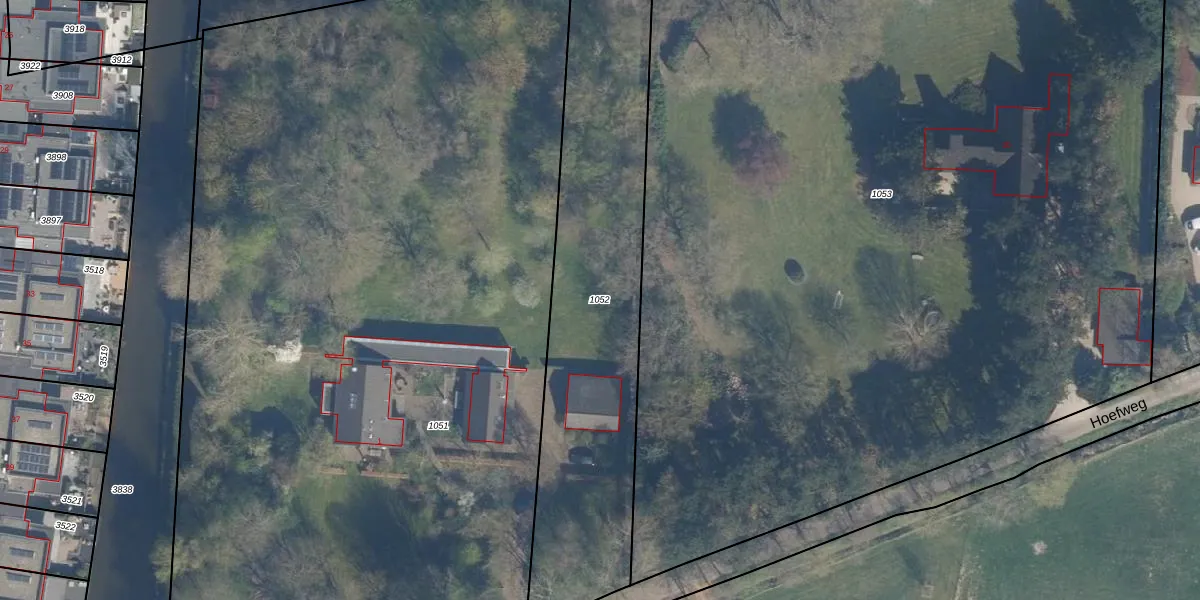
Perceel: WVN00-C-1052
KadastraleKaart.com kan meer dan je denktOntdek meer ›
Filter op bestemming 50+ datasets Eigendomsdata in één klik Percelen CRM
Geen adressen bij dit perceel
1.640 m2 - 253 m
Eigenaar opvragen
WVN00-C-1052 (Westvoorne)
- Geen postcode aanwezig
DDgfICgzXTVdWYExqKRYdnOwvUpgrade naar KadastraleKaart Pro
Bekijk op Street View
Download DWG/DXF/Excel
ehCG2 7dapsTV vUpgrade naar KadastraleKaart Pro
So2l EVg7JLsUpgrade naar KadastraleKaart Pro
I c3YOOZmT9q6IUpgrade naar KadastraleKaart Pro
wzoto1eiQ2eUpgrade naar KadastraleKaart Pro
FZVIiPn2M tEi87sMcjklsUpgrade naar KadastraleKaart Pro
4 DvG8JHv twJWbZLUpgrade naar KadastraleKaart Pro
3POODtSorvB Upgrade naar KadastraleKaart Pro
oZoxGxvU0d Upgrade naar KadastraleKaart Pro
Dv4qZEhOBbUpgrade naar KadastraleKaart Pro
G5LY1AIkSMKUpgrade naar KadastraleKaart Pro
13/06/2000

Percelen
Gebruik de zoekbalk of klik op een perceel om informatie over het perceel te bekijken.