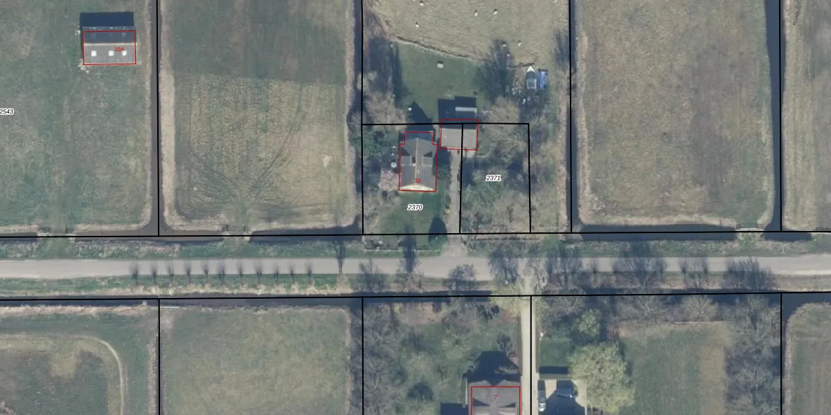
Perceel: WVV00-B-2370
KadastraleKaart.com kan meer dan je denktOntdek meer ›
Filter op bestemming 50+ datasets Eigendomsdata in één klik Percelen CRM
604 m2 - 101 m
Eigenaar opvragen
WVV00-B-2370 (Waverveen)
- 3646 AM
uPkYH ISUcjjXXfd7eZ5XbSUpgrade naar KadastraleKaart Pro
Bekijk op Street View
Download DWG/DXF/Excel
pHFU Hjj0srEd KUpgrade naar KadastraleKaart Pro
XpaJRjsIdpQzkVi 4Upgrade naar KadastraleKaart Pro
lrz3C TMIGQM4cfgUpgrade naar KadastraleKaart Pro
kT sJPxPcGmJicfWXUpgrade naar KadastraleKaart Pro
898yHzyZ6q9 YEtyKUpgrade naar KadastraleKaart Pro
yo9 S45UUpgrade naar KadastraleKaart Pro
tBVqBEnvRlsbGzJ1HUpgrade naar KadastraleKaart Pro
kA TbgH57K0CwFFUpgrade naar KadastraleKaart Pro
0RI9qNAq 47proEDe1R KUpgrade naar KadastraleKaart Pro
FX105le 0QCBUpgrade naar KadastraleKaart Pro
19/09/1997

Percelen
Gebruik de zoekbalk of klik op een perceel om informatie over het perceel te bekijken.