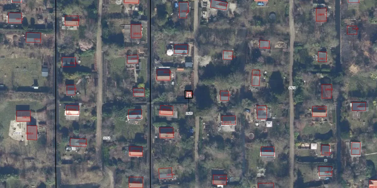
Perceel: WVV00-B-2420
KadastraleKaart.com kan meer dan je denktOntdek meer ›
Filter op bestemming 50+ datasets Eigendomsdata in één klik Percelen CRM
16 m2 - 16 m
Eigenaar opvragen
WVV00-B-2420 (Waverveen)
- Geen postcode aanwezig
kTjj1rFlYUS17 XLVUpgrade naar KadastraleKaart Pro
Bekijk op Street View
Download DWG/DXF/Excel
aXGlsuaLnwA4Q hh e EUpgrade naar KadastraleKaart Pro
T PPuk6RdWK0cUpgrade naar KadastraleKaart Pro
HhR b okUpgrade naar KadastraleKaart Pro
bK eEHhgNrorqKiZIUpgrade naar KadastraleKaart Pro
FGyUZ9wDzeO9BFgX07KMPUpgrade naar KadastraleKaart Pro
GYLjIit3Y4XGUYwnUziwNfAUpgrade naar KadastraleKaart Pro
nVU2HtO9F8r6waqC Upgrade naar KadastraleKaart Pro
lRmGEKNqD8XsY IfAjzvjiUpgrade naar KadastraleKaart Pro
Xp7huM9Ag04tqUpgrade naar KadastraleKaart Pro
iM1uh8t5F8d1prUpgrade naar KadastraleKaart Pro
19/09/1997

Percelen
Gebruik de zoekbalk of klik op een perceel om informatie over het perceel te bekijken.