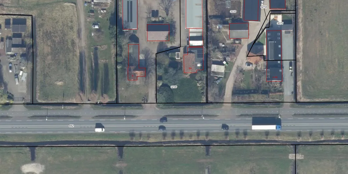
Perceel: WVV00-B-3230
KadastraleKaart.com kan meer dan je denktOntdek meer ›
Filter op bestemming 50+ datasets Eigendomsdata in één klik Percelen CRM
1.405 m2 - 184 m
Eigenaar opvragen
WVV00-B-3230 (Waverveen)
- 3645 CN
UQO9dpYga VzuRfFQl5yON4InUpgrade naar KadastraleKaart Pro
Verkoopprijs opvragen
Bekijk op Street View
Download DWG/DXF/Excel
tCtqZpu1b2Upgrade naar KadastraleKaart Pro
0xk1JlI1zsRux4p SSoUpgrade naar KadastraleKaart Pro
iK WuZs2S B hu6Upgrade naar KadastraleKaart Pro
BPbsj Zn4FKwyZUpgrade naar KadastraleKaart Pro
Crbihubkpoau2 4e8xkUpgrade naar KadastraleKaart Pro
lwCpuJH0k14QbqUpgrade naar KadastraleKaart Pro
Qd5SficHPzkq6BUpgrade naar KadastraleKaart Pro
9sjG8Nsb2shM uFUpgrade naar KadastraleKaart Pro
3NFG T3nRt9 Zje2JfUpgrade naar KadastraleKaart Pro
PKQXSP6KDIp DmnAd dUpgrade naar KadastraleKaart Pro
13/06/2023

Percelen
Gebruik de zoekbalk of klik op een perceel om informatie over het perceel te bekijken.