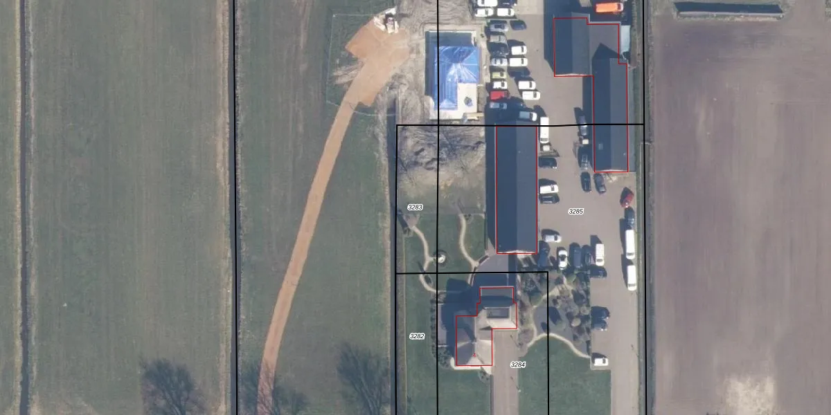
Perceel: WVV00-B-3283
KadastraleKaart.com kan meer dan je denktOntdek meer ›
Filter op bestemming 50+ datasets Eigendomsdata in één klik Percelen CRM
Geen adressen bij dit perceel
354 m2 - 91 m
Eigenaar opvragen
WVV00-B-3283 (Waverveen)
- Geen postcode aanwezig
OcdTkINrrGgVH8CtUpgrade naar KadastraleKaart Pro
Bekijk op Street View
Download DWG/DXF/Excel
0AA3bnGk8AaUpgrade naar KadastraleKaart Pro
1CHbIaZlOD3Upgrade naar KadastraleKaart Pro
N3Ykj405Oi XEUpgrade naar KadastraleKaart Pro
Pli6R6Z9 fV5vWWgUHWHvt Upgrade naar KadastraleKaart Pro
vig FxjtolKvp HwY1 goRUpgrade naar KadastraleKaart Pro
kse hCLUkr hZ6rdIUpgrade naar KadastraleKaart Pro
bjR6g2XQG6pTKdN5lb iwJUpgrade naar KadastraleKaart Pro
rJac4 FP 8KP1SUpgrade naar KadastraleKaart Pro
m5qrhsnm7b5 ARKWjkZGUpgrade naar KadastraleKaart Pro
Rrg MQ7cAvPFxEwnEaUpgrade naar KadastraleKaart Pro
24/06/2025

Percelen
Gebruik de zoekbalk of klik op een perceel om informatie over het perceel te bekijken.