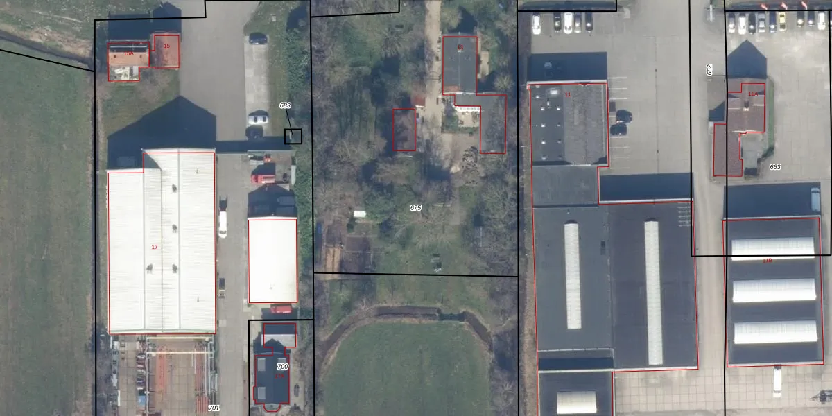
Perceel: WVV00-D-675
KadastraleKaart.com kan meer dan je denktOntdek meer ›
Filter op bestemming 50+ datasets Eigendomsdata in één klik Percelen CRM
3.290 m2 - 231 m
Eigenaar opvragen
WVV00-D-675 (Waverveen)
- 3645 CN
mMmfE2hBg37I8uNd n1g1dQDoGvrUpgrade naar KadastraleKaart Pro
Bekijk op Street View
Download DWG/DXF/Excel
PeNMCNvjKr7O 95Upgrade naar KadastraleKaart Pro
9 j0 Uerp9ZCxqUpgrade naar KadastraleKaart Pro
krLkC2abGCAoFDogNI1pUpgrade naar KadastraleKaart Pro
SE r4HZfwUpgrade naar KadastraleKaart Pro
URL00MeqUpgrade naar KadastraleKaart Pro
jpBJDawKsEqaa8WyjhLAEpUpgrade naar KadastraleKaart Pro
5gU7Jqdsl4Upgrade naar KadastraleKaart Pro
Tnenucs7Z 4Upgrade naar KadastraleKaart Pro
0RDfM7gI OPXjyxRagnUpgrade naar KadastraleKaart Pro
Lntamy4hktWGo9S8Upgrade naar KadastraleKaart Pro
19/12/2008

Percelen
Gebruik de zoekbalk of klik op een perceel om informatie over het perceel te bekijken.