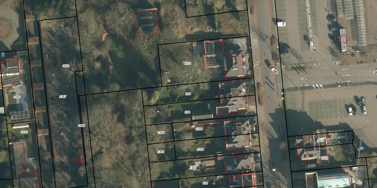
Perceel: WWK00-D-289
KadastraleKaart.com kan meer dan je denktOntdek meer ›
Filter op bestemming 50+ datasets Eigendomsdata in één klik Percelen CRM
555 m2 - 138 m
Eigenaar opvragen
WWK00-D-289 (Waalwijk)
- 5141 ES
eFibhZyS0CeNotmSwZvTyaUpgrade naar KadastraleKaart Pro
Verkoopprijs opvragen
Bekijk op Street View
Download DWG/DXF/Excel
DuhxYAJVaKxT1 zsn PxJUpgrade naar KadastraleKaart Pro
pfYinWH U0GlyUpgrade naar KadastraleKaart Pro
5BKZsNENTZLIvUpgrade naar KadastraleKaart Pro
yFsoqfzFM Ei39rJ5JF1NUpgrade naar KadastraleKaart Pro
IrBi DsaYUpgrade naar KadastraleKaart Pro
gHC6UXfbrYHUpgrade naar KadastraleKaart Pro
QB0mXErUpgrade naar KadastraleKaart Pro
FnVKTVnRBmlmqQyd Dg48PoUpgrade naar KadastraleKaart Pro
j6y9on 5255a7HA3B0qZUpgrade naar KadastraleKaart Pro
ZXBkwZqSAUpgrade naar KadastraleKaart Pro
07/10/2021

Percelen
Gebruik de zoekbalk of klik op een perceel om informatie over het perceel te bekijken.