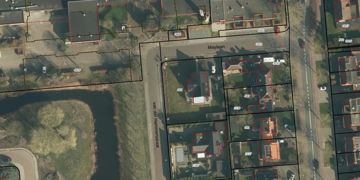
Perceel: WWK00-D-583
KadastraleKaart.com kan meer dan je denktOntdek meer ›
Filter op bestemming 50+ datasets Eigendomsdata in één klik Percelen CRM
1.177 m2 - 136 m
Eigenaar opvragen
WWK00-D-583 (Waalwijk)
- 5141 BL
vBAgxLB1dAdCNJQeUpgrade naar KadastraleKaart Pro
Bekijk op Street View
Download DWG/DXF/Excel
DO33yH4Q1 tA2TUynw9Upgrade naar KadastraleKaart Pro
3JGlIi3 4qmIwELMLp3mUpgrade naar KadastraleKaart Pro
O S VrYaHI0zXUpgrade naar KadastraleKaart Pro
Fx7ZYvlujvnTGzNguRUpgrade naar KadastraleKaart Pro
0L yVxS8TeJBQt aEUpgrade naar KadastraleKaart Pro
odzHHsuFMbiYT4wmQ LeoUpgrade naar KadastraleKaart Pro
Bvg6 u9p38Upgrade naar KadastraleKaart Pro
0OsWaBhx M iMUpgrade naar KadastraleKaart Pro
v NA24G7vIFEUpgrade naar KadastraleKaart Pro
k8mJ2zAU3xaM k8DT18Upgrade naar KadastraleKaart Pro
24/02/2006

Percelen
Gebruik de zoekbalk of klik op een perceel om informatie over het perceel te bekijken.