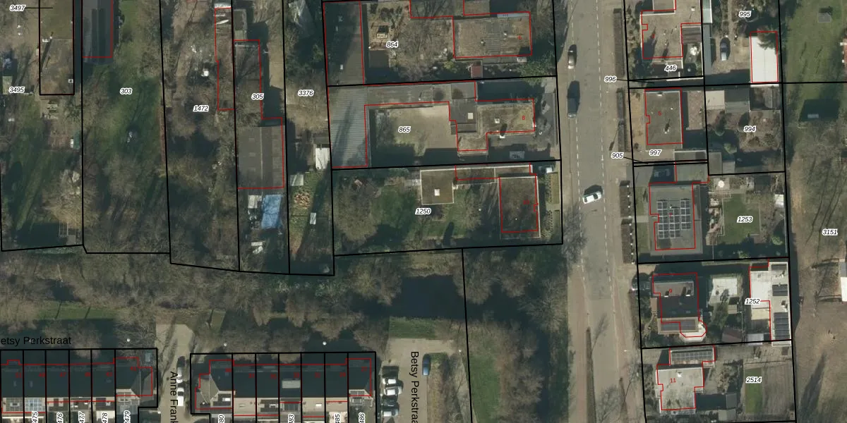
Perceel: WWK00-F-1250
KadastraleKaart.com kan meer dan je denktOntdek meer ›
Filter op bestemming 50+ datasets Eigendomsdata in één klik Percelen CRM
1.088 m2 - 149 m
Eigenaar opvragen
WWK00-F-1250 (Waalwijk)
- 5142 GE
4bXl 0CVdeXx3cgf1JjMphUpgrade naar KadastraleKaart Pro
Bekijk op Street View
Download DWG/DXF/Excel
bw8oKtf8ReO6kJZcVlrv4Upgrade naar KadastraleKaart Pro
u0cS9qTBCQ51Fu56wzieUpgrade naar KadastraleKaart Pro
8B dt6V5dzUpgrade naar KadastraleKaart Pro
t BnCcRW38tVQ9i4 Upgrade naar KadastraleKaart Pro
OFec32yso1eWY39ufzDN8Upgrade naar KadastraleKaart Pro
8mISsHNhREUpgrade naar KadastraleKaart Pro
j7vT89FnEV848MOUpgrade naar KadastraleKaart Pro
peqUruanQ6 nVptIMBq5PHUpgrade naar KadastraleKaart Pro
IedXZv KQl1RtUpgrade naar KadastraleKaart Pro
nXXAztwNJ0TwQPUpgrade naar KadastraleKaart Pro
22/03/2006

Percelen
Gebruik de zoekbalk of klik op een perceel om informatie over het perceel te bekijken.