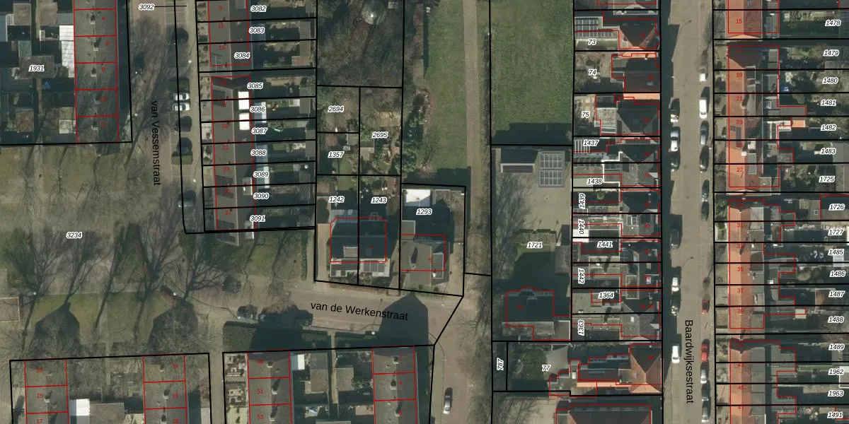
Perceel: WWK00-F-1293
KadastraleKaart.com kan meer dan je denktOntdek meer ›
Filter op bestemming 50+ datasets Eigendomsdata in één klik Percelen CRM
383 m2 - 81 m
Eigenaar opvragen
WWK00-F-1293 (Waalwijk)
- 5142 VR
bLHaajWqKMD UcEhXz1POUpgrade naar KadastraleKaart Pro
Verkoopprijs opvragen
Bekijk op Street View
Download DWG/DXF/Excel
hRPNRf9k7M41OXICJ2Upgrade naar KadastraleKaart Pro
Af 2fcwSYUpgrade naar KadastraleKaart Pro
iD Ikj1tP Sk8QepZYBEUpgrade naar KadastraleKaart Pro
GEdb PLrfZSAcNEg98Upgrade naar KadastraleKaart Pro
aBmpW kjS96KXQTDaDYW7Upgrade naar KadastraleKaart Pro
R7aNaSSktUpgrade naar KadastraleKaart Pro
AYE1AEPseScgUOA fSYkaUpgrade naar KadastraleKaart Pro
0AdOa1jl J0TvUpgrade naar KadastraleKaart Pro
l kRpeZEHe vut3vMtvUpgrade naar KadastraleKaart Pro
qS ULq01EtDOW81RCYT OeUpgrade naar KadastraleKaart Pro
23/06/2011

Percelen
Gebruik de zoekbalk of klik op een perceel om informatie over het perceel te bekijken.