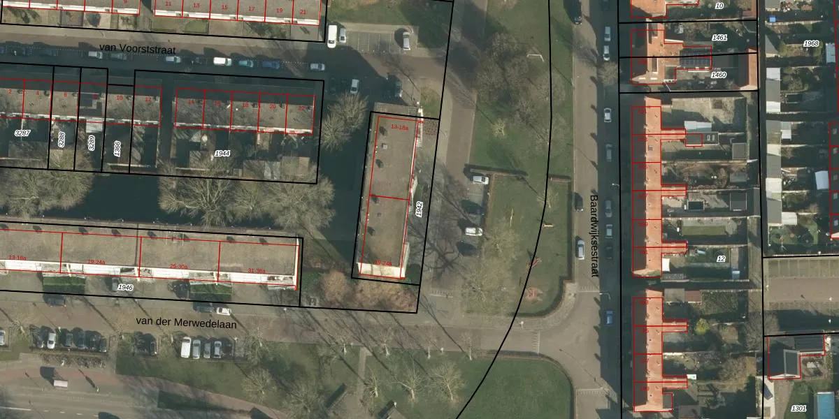
Perceel: WWK00-F-1942
KadastraleKaart.com kan meer dan je denktOntdek meer ›
Filter op bestemming 50+ datasets Eigendomsdata in één klik Percelen CRM
658 m2 - 113 m
Eigenaar opvragen
WWK00-F-1942 (Waalwijk)
- 5142 WK
IKGyMIs2is2WlX0KQ hOZ pCpzMUpgrade naar KadastraleKaart Pro
Bekijk op Street View
Download DWG/DXF/Excel
2BS qMEqVsMe0Qc6p U IUpgrade naar KadastraleKaart Pro
o UD6UdL0gB N33XGWUpgrade naar KadastraleKaart Pro
eOgk2anh uUpgrade naar KadastraleKaart Pro
XNVYYZf9yoEi872miizS rUpgrade naar KadastraleKaart Pro
D392Lu34Upgrade naar KadastraleKaart Pro
8W1W550 pci QPFfuOtUpgrade naar KadastraleKaart Pro
TB xjd40fbFsUpgrade naar KadastraleKaart Pro
hbv xhcSnaMTUpgrade naar KadastraleKaart Pro
o8z2bVidEQRUpgrade naar KadastraleKaart Pro
3DVY6 OWUpgrade naar KadastraleKaart Pro
20/11/2019

Percelen
Gebruik de zoekbalk of klik op een perceel om informatie over het perceel te bekijken.