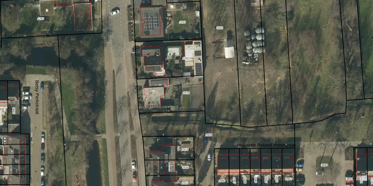
Perceel: WWK00-F-2514
KadastraleKaart.com kan meer dan je denktOntdek meer ›
Filter op bestemming 50+ datasets Eigendomsdata in één klik Percelen CRM
669 m2 - 109 m
Eigenaar opvragen
WWK00-F-2514 (Waalwijk)
- 5142 GE
MgEvmwj oVSLPRlWuRkboue9E6FUpgrade naar KadastraleKaart Pro
Bekijk op Street View
Download DWG/DXF/Excel
jLjvdaQaWLUpgrade naar KadastraleKaart Pro
o71DjoZEMy Ptmj93JAUUpgrade naar KadastraleKaart Pro
zrEF8dEZcl G 2Uw9HkmUpgrade naar KadastraleKaart Pro
D10dGeiSyk69mMSRLLu2ZNjUpgrade naar KadastraleKaart Pro
Vg3vYAL0gUEWP6bCd9yUpgrade naar KadastraleKaart Pro
NIwo4NHSfiUpgrade naar KadastraleKaart Pro
F p HfgYRB 9oBy5R bUpgrade naar KadastraleKaart Pro
Ep CS8Dvlmtn2GfF8HUpgrade naar KadastraleKaart Pro
eIHY Pr6zEkWMQZ9kMUpgrade naar KadastraleKaart Pro
6QKsyntVyJVUpgrade naar KadastraleKaart Pro
05/01/2012

Percelen
Gebruik de zoekbalk of klik op een perceel om informatie over het perceel te bekijken.