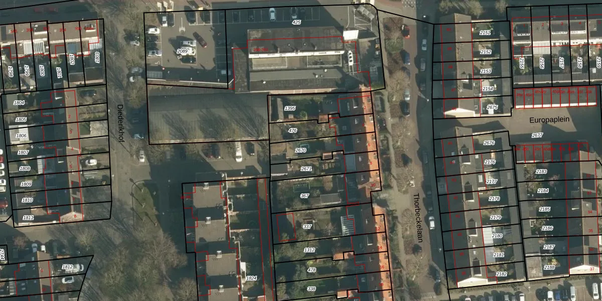
Perceel: WWK00-F-2670
KadastraleKaart.com kan meer dan je denktOntdek meer ›
Filter op bestemming 50+ datasets Eigendomsdata in één klik Percelen CRM
227 m2 - 90 m
Eigenaar opvragen
WWK00-F-2670 (Waalwijk)
- 5142 CG
Ams2uhUyqgsK7BfHh8M25GDhLOEVItWUpgrade naar KadastraleKaart Pro
Verkoopprijs opvragen
Bekijk op Street View
Download DWG/DXF/Excel
EA kybFx 720gwVqUpgrade naar KadastraleKaart Pro
kRGtxEPu9YU kD9Upgrade naar KadastraleKaart Pro
rYECAA46qztugUpgrade naar KadastraleKaart Pro
hsn JW6YjuG n1s7 XUpgrade naar KadastraleKaart Pro
vs 65vOoW MYwxUpgrade naar KadastraleKaart Pro
oycBBo7YUpgrade naar KadastraleKaart Pro
HyEbM8 4Upgrade naar KadastraleKaart Pro
oaH0VceoUpgrade naar KadastraleKaart Pro
o rkiRqwNG10oUpgrade naar KadastraleKaart Pro
fbcPpts2Qi Xm1WUpgrade naar KadastraleKaart Pro
21/03/2006

Percelen
Gebruik de zoekbalk of klik op een perceel om informatie over het perceel te bekijken.