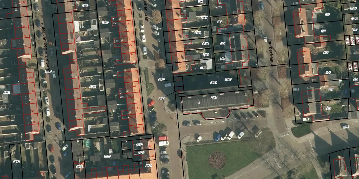
Perceel: WWK00-F-3068
KadastraleKaart.com kan meer dan je denktOntdek meer ›
Filter op bestemming 50+ datasets Eigendomsdata in één klik Percelen CRM
20 m2 - 18 m
Eigenaar opvragen
WWK00-F-3068 (Waalwijk)
- 5142 SJ
LOglblXjnO2T8CXfwmt 9ORyUpgrade naar KadastraleKaart Pro
Bekijk op Street View
Download DWG/DXF/Excel
ecLI FGWhRWs Upgrade naar KadastraleKaart Pro
ypSqdK3CmFlUuV1tKfxCUpgrade naar KadastraleKaart Pro
glyXnwah41 53bGvUpgrade naar KadastraleKaart Pro
qEw6n4 UcSrIUtYHY8AiCUpgrade naar KadastraleKaart Pro
D XNFIB6 9aJvTy0eUpgrade naar KadastraleKaart Pro
n GYSzqEwb4MUpgrade naar KadastraleKaart Pro
vWiczpJ xh2zsIBUpgrade naar KadastraleKaart Pro
r 7 X03JesUpgrade naar KadastraleKaart Pro
tyI46 WshM5RUpgrade naar KadastraleKaart Pro
CwMAbZkzeSqm98l2mOvzxAUpgrade naar KadastraleKaart Pro
29/03/2007

Percelen
Gebruik de zoekbalk of klik op een perceel om informatie over het perceel te bekijken.