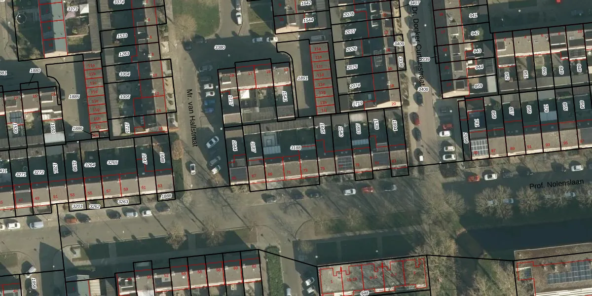
Perceel: WWK00-F-3188
KadastraleKaart.com kan meer dan je denktOntdek meer ›
Filter op bestemming 50+ datasets Eigendomsdata in één klik Percelen CRM
671 m2 - 137 m
Eigenaar opvragen
WWK00-F-3188 (Waalwijk)
- 5142 AW -5142 AG
odEZVmWmT5 QnvZlUbS7g9Upgrade naar KadastraleKaart Pro
Bekijk op Street View
Download DWG/DXF/Excel
4XR QY5BrDdVUpgrade naar KadastraleKaart Pro
fAv5CLzVYnUpgrade naar KadastraleKaart Pro
hh0fnVwPKvUpgrade naar KadastraleKaart Pro
1gLg W e8u7KwtPUpgrade naar KadastraleKaart Pro
bkJVP2cM4QtV1uI8HX2Upgrade naar KadastraleKaart Pro
C1hE UTfwhWUpgrade naar KadastraleKaart Pro
aNTZjYIriq84u1iUpgrade naar KadastraleKaart Pro
KJGQeUSh8IlaLv UWTwP IUpgrade naar KadastraleKaart Pro
wXVe1MH4nmG2dcgtmqZ vVUpgrade naar KadastraleKaart Pro
JTfGXdJ Upgrade naar KadastraleKaart Pro
17/07/2014

Percelen
Gebruik de zoekbalk of klik op een perceel om informatie over het perceel te bekijken.