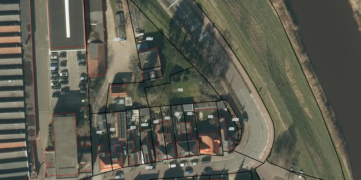
Perceel: WWK00-G-801
KadastraleKaart.com kan meer dan je denktOntdek meer ›
Filter op bestemming 50+ datasets Eigendomsdata in één klik Percelen CRM
Geen adressen bij dit perceel
565 m2 - 110 m
Eigenaar opvragen
WWK00-G-801 (Waalwijk)
- Geen postcode aanwezig
qtwfI9HXnCkn4I OKMCGJy909sCbUpgrade naar KadastraleKaart Pro
Bekijk op Street View
Download DWG/DXF/Excel
5 XFoylJXnxbz xUW nUpgrade naar KadastraleKaart Pro
H8uMYhh8LtUpgrade naar KadastraleKaart Pro
xKBKbqdrp 03nEmsUWUl Upgrade naar KadastraleKaart Pro
lfL3HkFZQXan4UxGoh3QUpgrade naar KadastraleKaart Pro
DwNocJWmDtTVfxSFCUpgrade naar KadastraleKaart Pro
4M 5evg58Upgrade naar KadastraleKaart Pro
zShq5sSCOL4Upgrade naar KadastraleKaart Pro
PdANbenhd31w0 kMmn1vkuUpgrade naar KadastraleKaart Pro
Y3VSQ5pjMIXthI5nGuUpgrade naar KadastraleKaart Pro
EVk6hF re HUpgrade naar KadastraleKaart Pro
22/03/2006

Percelen
Gebruik de zoekbalk of klik op een perceel om informatie over het perceel te bekijken.