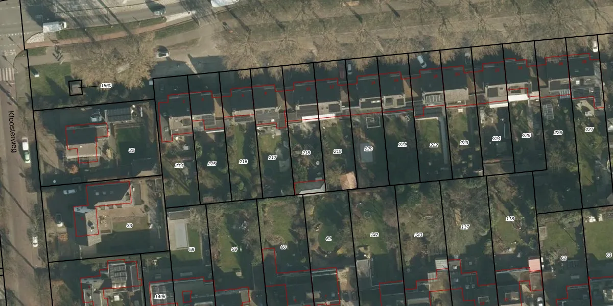
Perceel: WWK00-H-218
KadastraleKaart.com kan meer dan je denktOntdek meer ›
Filter op bestemming 50+ datasets Eigendomsdata in één klik Percelen CRM
439 m2 - 106 m
Eigenaar opvragen
WWK00-H-218 (Waalwijk)
- 5144 BD
mgWpoAkGDxkCuIQ4RUvLYwqwRGNUSlAUpgrade naar KadastraleKaart Pro
Verkoopprijs opvragen
Bekijk op Street View
Download DWG/DXF/Excel
XpOk x5D zWW n lUpgrade naar KadastraleKaart Pro
6ftQHyCpUpgrade naar KadastraleKaart Pro
Cj4nPojIWeqUpgrade naar KadastraleKaart Pro
k5mXhsehhSUpgrade naar KadastraleKaart Pro
1BWczOjlqhIJUpgrade naar KadastraleKaart Pro
YGD4FgiFnl5Iu4eqUpgrade naar KadastraleKaart Pro
zb9NVDF ZY7o1PJq5B7CUpgrade naar KadastraleKaart Pro
vSYkjaZno9JcKQAmsAcGF eUpgrade naar KadastraleKaart Pro
f9aei BKyipwUlNW7ldEEUpgrade naar KadastraleKaart Pro
sznbEpfnoEmUpgrade naar KadastraleKaart Pro
28/03/2006

Percelen
Gebruik de zoekbalk of klik op een perceel om informatie over het perceel te bekijken.