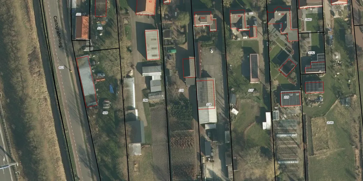
Perceel: WWK00-L-119
KadastraleKaart.com kan meer dan je denktOntdek meer ›
Filter op bestemming 50+ datasets Eigendomsdata in één klik Percelen CRM
2.170 m2 - 285 m
Eigenaar opvragen
WWK00-L-119 (Waalwijk)
- 5141 AD
dyn82Ju3HrGztzoOl8VsW3xUpgrade naar KadastraleKaart Pro
Verkoopprijs opvragen
Bekijk op Street View
Download DWG/DXF/Excel
W4WrJz3 OUpgrade naar KadastraleKaart Pro
i OC1sXduhb1Zt6Upgrade naar KadastraleKaart Pro
xbIg51BYT4TaH2LcHXXp5lUpgrade naar KadastraleKaart Pro
7m K DcpD1aWi0pF 2Upgrade naar KadastraleKaart Pro
PZ d8Kw SWgtBsA7nGS4Upgrade naar KadastraleKaart Pro
Kecv Pq PtHUpgrade naar KadastraleKaart Pro
1DRQNeQGUAUpgrade naar KadastraleKaart Pro
LMvY3cjIqUpgrade naar KadastraleKaart Pro
5RrCnACdWhrlUpgrade naar KadastraleKaart Pro
CzZjWrPoVADUpgrade naar KadastraleKaart Pro
26/05/2011

Percelen
Gebruik de zoekbalk of klik op een perceel om informatie over het perceel te bekijken.