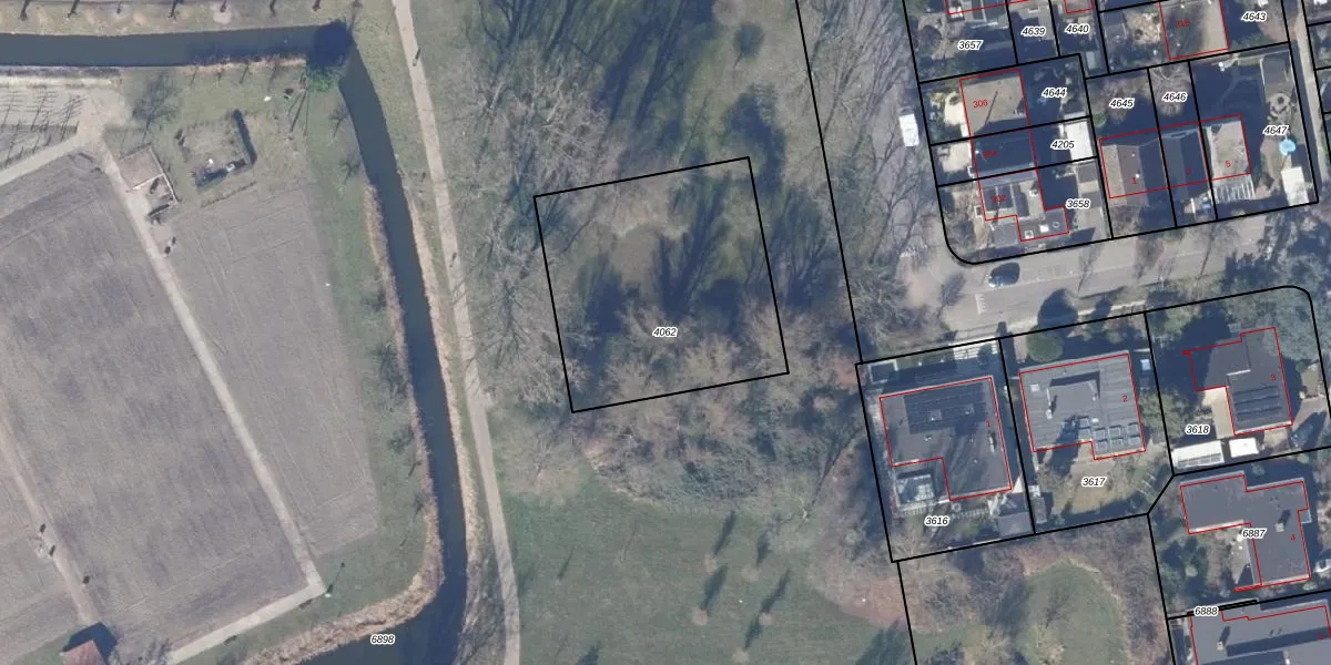
Perceel: ZDM01-D-4062
Geen adressen bij dit perceel
1.089 m2 - 132 m
Eigenaar opvragen
ZDM01-D-4062 (Zaandam)
- Geen postcode aanwezig
Q8vve71Q7aEzTeuDPUpgrade naar KadastraleKaart Pro
Bekijk op Street View
Download DWG/DXF/Excel
KbvBG2c NjfQ ocUpgrade naar KadastraleKaart Pro
bwH0Wm9QcUUpgrade naar KadastraleKaart Pro
Oefh2GCrUKUTl9u NfzEjuUpgrade naar KadastraleKaart Pro
amdte6McMl4dkUpgrade naar KadastraleKaart Pro
z8gmIHEBVjUpgrade naar KadastraleKaart Pro
ZNwhaJKBReA5NZhzGIRQ8Upgrade naar KadastraleKaart Pro
Mx7ber2Eh4 RjErUpgrade naar KadastraleKaart Pro
FJ15jo gUaL2TGpSte HUpgrade naar KadastraleKaart Pro
NyS4 M5jmgEFrqUpgrade naar KadastraleKaart Pro
D1aM3xynVWgp2Upgrade naar KadastraleKaart Pro
12/06/2009

Percelen
Gebruik de zoekbalk of klik op een perceel om informatie over het perceel te bekijken.