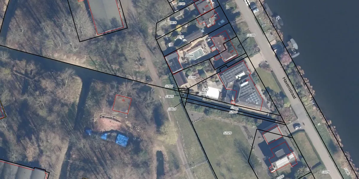
Perceel: ZDM01-K-12994
Geen adressen bij dit perceel
6 m2 - 14 m
Eigenaar opvragen
ZDM01-K-12994 (Zaandam)
- Geen postcode aanwezig
U Tqi5fR8 h3J nCUBqbyfAV Upgrade naar KadastraleKaart Pro
Bekijk op Street View
Download DWG/DXF/Excel
Vb3xqYcgrSV oIkVABdrUpgrade naar KadastraleKaart Pro
bqu1R Fy2tndBFnfJAT4Upgrade naar KadastraleKaart Pro
y ST DQBH TU2AIQoBaUpgrade naar KadastraleKaart Pro
kycTHlRlvZT4Upgrade naar KadastraleKaart Pro
0 AWSNrGv9DkUpgrade naar KadastraleKaart Pro
M JIm5toiA48QsIq4aIUpgrade naar KadastraleKaart Pro
HkceUSm ETdZ8mUpgrade naar KadastraleKaart Pro
SURtx U bB ZrCI1mgY6GN Upgrade naar KadastraleKaart Pro
Tw YPK8k7Qn1E6rFpzzUpgrade naar KadastraleKaart Pro
FlGq YybUpgrade naar KadastraleKaart Pro
30/01/2019

Percelen
Gebruik de zoekbalk of klik op een perceel om informatie over het perceel te bekijken.