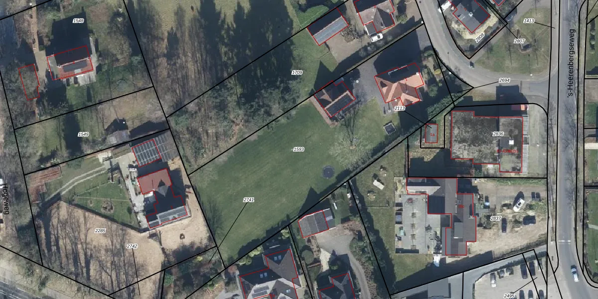
Perceel: ZDM02-E-1593
2.750 m2 - 250 m
Eigenaar opvragen
ZDM02-E-1593 (Zeddam)
- 7038 CE
PTXSJbxkY 8yjlQaRUpgrade naar KadastraleKaart Pro
Verkoopprijs opvragen
Bekijk op Street View
Download DWG/DXF/Excel
v Yo3I7tmDEUpgrade naar KadastraleKaart Pro
ibm9Ua e Upgrade naar KadastraleKaart Pro
RW2RroQY8 Upgrade naar KadastraleKaart Pro
ehoe PEQ282ZMtzccbuVTGsUpgrade naar KadastraleKaart Pro
5f6i7 MrXUpgrade naar KadastraleKaart Pro
7Php XLEUpgrade naar KadastraleKaart Pro
ZaK66qWo TsvxKc1rRvUpgrade naar KadastraleKaart Pro
4MzU19NadgA3xZUpgrade naar KadastraleKaart Pro
LidD5rCm5AZSUpgrade naar KadastraleKaart Pro
WIRf31VrDN0tmGUpgrade naar KadastraleKaart Pro
15/02/2006

Percelen
Gebruik de zoekbalk of klik op een perceel om informatie over het perceel te bekijken.