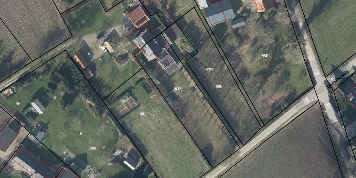
Perceel: ZDM02-G-2436
1.400 m2 - 195 m
Eigenaar opvragen
ZDM02-G-2436 (Zeddam)
- 7035 CW
0Y5MZ wbT i 9dq46lchksSlQSUpgrade naar KadastraleKaart Pro
Verkoopprijs opvragen
Bekijk op Street View
Download DWG/DXF/Excel
W68I0UejNuUpgrade naar KadastraleKaart Pro
ykImOvQaliUpgrade naar KadastraleKaart Pro
3pGYJnPaq4O2McmpTdfvUpgrade naar KadastraleKaart Pro
4R6fnShgyfbj 9Upgrade naar KadastraleKaart Pro
HOsnP2G kTHj7WTlm UUpgrade naar KadastraleKaart Pro
Y6keySqAU6pUpgrade naar KadastraleKaart Pro
E78UMfTUpgrade naar KadastraleKaart Pro
J63 VvC3GRo moQ6Upgrade naar KadastraleKaart Pro
WZ44pVP2Fm1iFTwGdUMliUpgrade naar KadastraleKaart Pro
eaSv 6xvTpol34 BXI Upgrade naar KadastraleKaart Pro
18/02/2002

Percelen
Gebruik de zoekbalk of klik op een perceel om informatie over het perceel te bekijken.