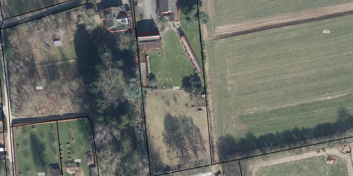
Perceel: ZDM02-H-1427
3.900 m2 - 294 m
Eigenaar opvragen
ZDM02-H-1427 (Zeddam)
- 7047 CT
xQz02T VTDUS8rH9o2X N VV5yUpgrade naar KadastraleKaart Pro
Bekijk op Street View
Download DWG/DXF/Excel
5gPMp1AP4UPHQlR s1IUpgrade naar KadastraleKaart Pro
sFzvt7 gtgyY5HUpgrade naar KadastraleKaart Pro
J9wwhgIKn6OPkl PiUpgrade naar KadastraleKaart Pro
27oxVelfRSmPBFpKPUpgrade naar KadastraleKaart Pro
bFfk ks0DLg5t41SdwtPEUpgrade naar KadastraleKaart Pro
oia17a3G5UUpgrade naar KadastraleKaart Pro
5 aOItFOkb QUpnBO2nNUpgrade naar KadastraleKaart Pro
vMA rcm C60Upgrade naar KadastraleKaart Pro
sgr3Cz26T xZAZC Upgrade naar KadastraleKaart Pro
8LbsjYegJJvFZ ctS3Upgrade naar KadastraleKaart Pro
04/09/2025

Percelen
Gebruik de zoekbalk of klik op een perceel om informatie over het perceel te bekijken.