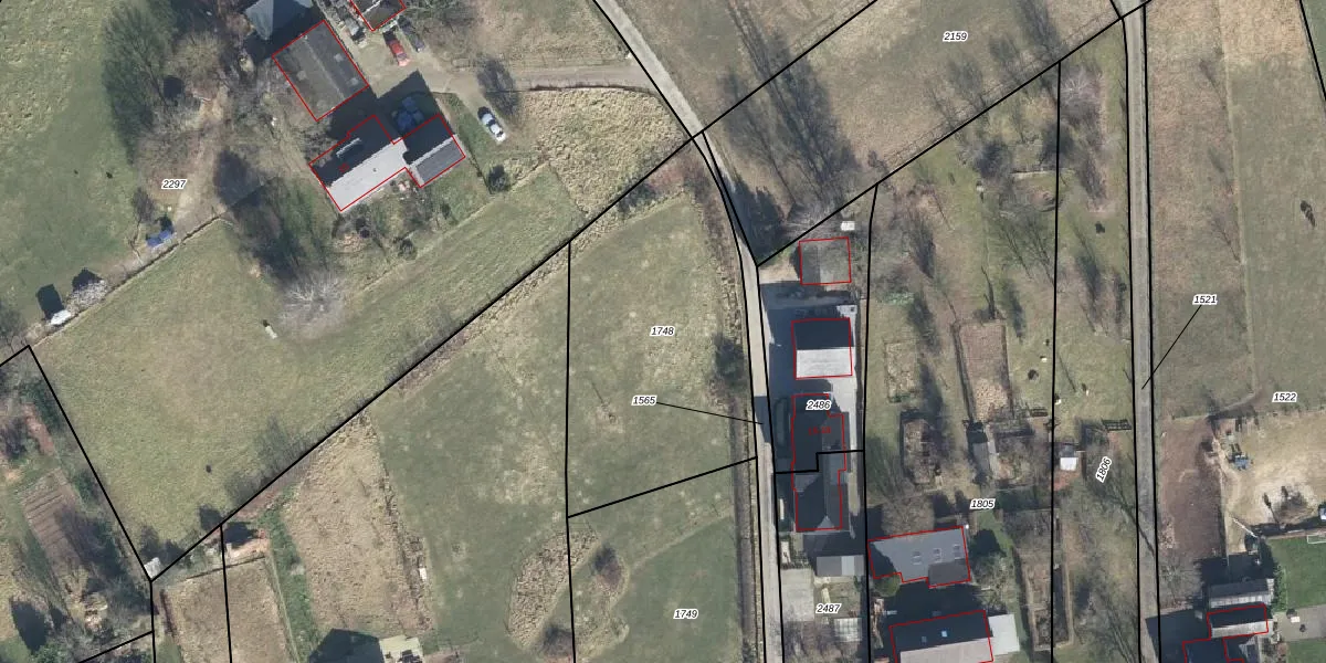
Perceel: ZDM02-H-1748
Geen adressen bij dit perceel
1.320 m2 - 146 m
Eigenaar opvragen
ZDM02-H-1748 (Zeddam)
- Geen postcode aanwezig
YPdC9EHZ27NGbu0oz Dpk7tUpgrade naar KadastraleKaart Pro
Bekijk op Street View
Download DWG/DXF/Excel
9sGypUAlutUpgrade naar KadastraleKaart Pro
ASWZhc1n Bx1e MUpgrade naar KadastraleKaart Pro
1eSTZrnfo mRh71iEXhAUpgrade naar KadastraleKaart Pro
i24qRLC4jdEhnVsla3Upgrade naar KadastraleKaart Pro
pm 7dm6qC v7a VaC3Upgrade naar KadastraleKaart Pro
JPby7JZR4W1TEMUpgrade naar KadastraleKaart Pro
yuUU4cszqUpgrade naar KadastraleKaart Pro
j32onCKHyyoUpgrade naar KadastraleKaart Pro
mTS fjjmUpgrade naar KadastraleKaart Pro
5zN1 GGPjMzJ1Y1VnrG4rjdUpgrade naar KadastraleKaart Pro
14/02/2002

Percelen
Gebruik de zoekbalk of klik op een perceel om informatie over het perceel te bekijken.