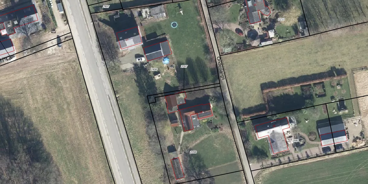
Perceel: ZDM02-H-2097
Geen adressen bij dit perceel
72 m2 - 88 m
Eigenaar opvragen
ZDM02-H-2097 (Zeddam)
- Geen postcode aanwezig
7YAYC WrBGDO6 v1Upgrade naar KadastraleKaart Pro
Bekijk op Street View
Download DWG/DXF/Excel
K S6e79uVCATQ mWQUpgrade naar KadastraleKaart Pro
1NwSSvqgwykJ0DDeaUpgrade naar KadastraleKaart Pro
Q79W Q0JjgsyW nFUpgrade naar KadastraleKaart Pro
kW7bfcVwuAUpgrade naar KadastraleKaart Pro
X7uM6XPEERs6OFYTIbH8C6Upgrade naar KadastraleKaart Pro
TSOXjJkPY IUpgrade naar KadastraleKaart Pro
grhMlS5YBMpUpgrade naar KadastraleKaart Pro
HdEXb SmfN43N3QUpgrade naar KadastraleKaart Pro
7tBxTWP8vLdg 0Gc3aFcKMUpgrade naar KadastraleKaart Pro
YdlbA0nxLmpG RuoBYnUpgrade naar KadastraleKaart Pro
14/02/2002

Percelen
Gebruik de zoekbalk of klik op een perceel om informatie over het perceel te bekijken.