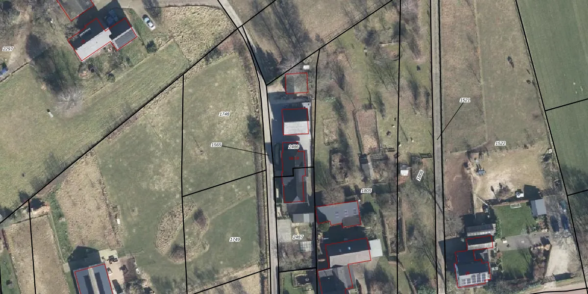
Perceel: ZDM02-H-2486
515 m2 - 110 m
Eigenaar opvragen
ZDM02-H-2486 (Zeddam)
- 7047 CJ
HF uhPgDfUroU7H9Wb QHt72DUpgrade naar KadastraleKaart Pro
Bekijk op Street View
Download DWG/DXF/Excel
MGjCeS9hr7glQp Upgrade naar KadastraleKaart Pro
BwahJyX nr6wj35HOc43Upgrade naar KadastraleKaart Pro
qpkX2ppmy DcnrLN Upgrade naar KadastraleKaart Pro
gnxxiYlPiahF VuKOS0IxgUpgrade naar KadastraleKaart Pro
ZFASPMW Upgrade naar KadastraleKaart Pro
ytE KyvpA4 d90hcFrCPoUpgrade naar KadastraleKaart Pro
jMF6qGSnOPS sS iUpgrade naar KadastraleKaart Pro
R4eXXLxO0bMH2hFv8k lScUpgrade naar KadastraleKaart Pro
HcOzRPuUy n16v78Upgrade naar KadastraleKaart Pro
ACjNOY27WelRuTZeBUpgrade naar KadastraleKaart Pro
21/04/2010

Percelen
Gebruik de zoekbalk of klik op een perceel om informatie over het perceel te bekijken.