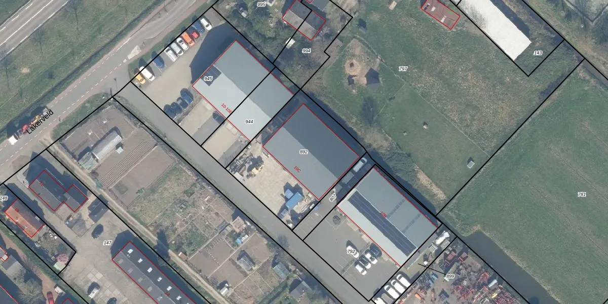
Perceel: ZDR00-B-892
KadastraleKaart.com kan meer dan je denktOntdek meer ›
Filter op bestemming 50+ datasets Eigendomsdata in één klik Percelen CRM
1.085 m2 - 132 m
Eigenaar opvragen
ZDR00-B-892 (Zederik)
- 4128 LJ
Woa4qmLxphvzZYnUpgrade naar KadastraleKaart Pro
Bekijk op Street View
Download DWG/DXF/Excel
DQz99nCMX49Upgrade naar KadastraleKaart Pro
RMPlgKm2ed1VPNUpgrade naar KadastraleKaart Pro
sV49xzPMnUpgrade naar KadastraleKaart Pro
BPw gkHX8vMT 3t0ObYO5Upgrade naar KadastraleKaart Pro
NvIIOtjtvRIKnRUpgrade naar KadastraleKaart Pro
Z73avr uXbUDTtzQo 12NUpgrade naar KadastraleKaart Pro
J z356nFHxUpgrade naar KadastraleKaart Pro
KsJCCOKgi0MlPcrH Upgrade naar KadastraleKaart Pro
Aclg9b pgWJ kZolU2IUpgrade naar KadastraleKaart Pro
V1PTOypk6TN5Upgrade naar KadastraleKaart Pro
21/12/2017

Percelen
Gebruik de zoekbalk of klik op een perceel om informatie over het perceel te bekijken.