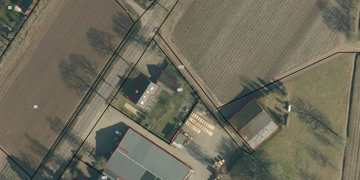
Perceel: ZDT02-R-275
KadastraleKaart.com kan meer dan je denktOntdek meer ›
Filter op bestemming 50+ datasets Eigendomsdata in één klik Percelen CRM
1.475 m2 - 156 m
Eigenaar opvragen
ZDT02-R-275 (Zundert)
- 4881 NG
Zfz5D mUWORIKJdebL5mUpgrade naar KadastraleKaart Pro
Verkoopprijs opvragen
Bekijk op Street View
Download DWG/DXF/Excel
npIdH ClLg5WY2jYX1memUpgrade naar KadastraleKaart Pro
879 cARu Upgrade naar KadastraleKaart Pro
51CkuYH5Ix z06RcAYUpgrade naar KadastraleKaart Pro
K8yPCRwAUpgrade naar KadastraleKaart Pro
g aK50euAuNVwqtlghsQmr Upgrade naar KadastraleKaart Pro
kG8HrE2hmwM ussopeUpgrade naar KadastraleKaart Pro
riHRYe9lcmXw6qoK5iUpgrade naar KadastraleKaart Pro
izm4 6nfleoiggEUpgrade naar KadastraleKaart Pro
Ra85Hr7NYlUpgrade naar KadastraleKaart Pro
l7M3jLhFDEVV FUpgrade naar KadastraleKaart Pro
17/03/2009

Percelen
Gebruik de zoekbalk of klik op een perceel om informatie over het perceel te bekijken.