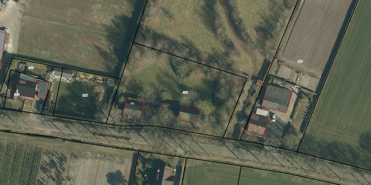
Perceel: ZDT02-R-314
KadastraleKaart.com kan meer dan je denktOntdek meer ›
Filter op bestemming 50+ datasets Eigendomsdata in één klik Percelen CRM
2.495 m2 - 209 m
Eigenaar opvragen
ZDT02-R-314 (Zundert)
- 4881 NB
c3y8an6f3TNWbSGUlQkLW7HeE1FDtUpgrade naar KadastraleKaart Pro
Verkoopprijs opvragen
Bekijk op Street View
Download DWG/DXF/Excel
Z48eNg2qKnGQ UUpgrade naar KadastraleKaart Pro
hs72jNa4Qxw5QKlzUpgrade naar KadastraleKaart Pro
RYb5bUqeyaLalf e3Upgrade naar KadastraleKaart Pro
Oz0MzU0 D L2HLzbUpgrade naar KadastraleKaart Pro
70bUZaMnmzufQpuNUpgrade naar KadastraleKaart Pro
l8dCBfZCpM k07di RAsYAUpgrade naar KadastraleKaart Pro
daAFzvKTc8lji0Upgrade naar KadastraleKaart Pro
qHQ7tk4t04WhdOq2Mt1eUpgrade naar KadastraleKaart Pro
EwgvrJYGB MQfA2Upgrade naar KadastraleKaart Pro
81v9JOKY kUpgrade naar KadastraleKaart Pro
27/12/2011

Percelen
Gebruik de zoekbalk of klik op een perceel om informatie over het perceel te bekijken.