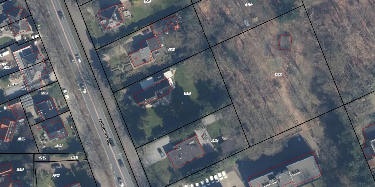
Perceel: ZEI00-A-2823
KadastraleKaart.com kan meer dan je denktOntdek meer ›
Filter op bestemming 50+ datasets Eigendomsdata in één klik Percelen CRM
1.835 m2 - 179 m
Eigenaar opvragen
ZEI00-A-2823 (Zeist)
- 3712 BP
nX9cNYF3g3 2nyRTX8 MZ4YneBiuXPUpgrade naar KadastraleKaart Pro
Bekijk op Street View
Download DWG/DXF/Excel
oLtc59WWap5kuUpgrade naar KadastraleKaart Pro
bG7ssTNfes SsMeUIUpgrade naar KadastraleKaart Pro
CxJw7mH1428MdDOL596VUpgrade naar KadastraleKaart Pro
Kfd24 cRRFzsdh0 Upgrade naar KadastraleKaart Pro
eS4BSxvBAUpgrade naar KadastraleKaart Pro
prNTuR4 h1wy2XUpgrade naar KadastraleKaart Pro
st OlsSJljRlUpgrade naar KadastraleKaart Pro
p4NX 9H gMdg8q7PW5PUpgrade naar KadastraleKaart Pro
vQ9OqqYfc6 cnGVMQgr hCoUpgrade naar KadastraleKaart Pro
S5 C9tkE dMDOedDe4yw95Upgrade naar KadastraleKaart Pro
19/09/1997

Percelen
Gebruik de zoekbalk of klik op een perceel om informatie over het perceel te bekijken.