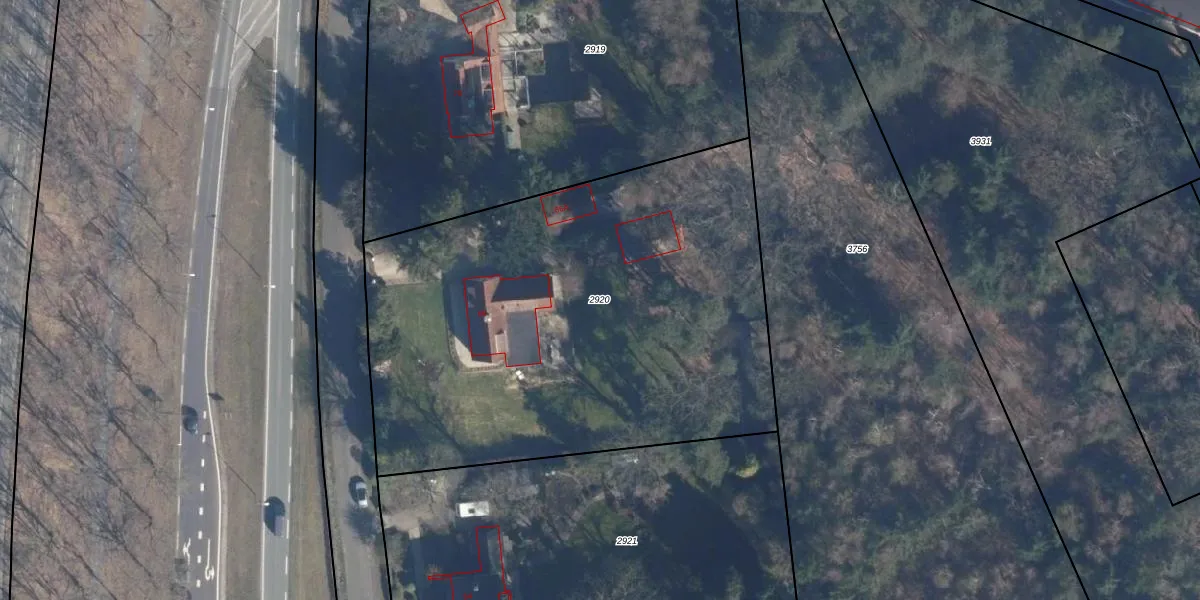
Perceel: ZEI00-A-2920
KadastraleKaart.com kan meer dan je denktOntdek meer ›
Filter op bestemming 50+ datasets Eigendomsdata in één klik Percelen CRM
2.936 m2 - 222 m
Eigenaar opvragen
ZEI00-A-2920 (Zeist)
- 3734 BA
qkomeuQWPIxKcqz68iZw2WBOtdGppCtUpgrade naar KadastraleKaart Pro
Verkoopprijs opvragen
Bekijk op Street View
Download DWG/DXF/Excel
xuTOGjoDVGV DX4J8xUpgrade naar KadastraleKaart Pro
7llV7simUpgrade naar KadastraleKaart Pro
rUc B HffiVN7UUpgrade naar KadastraleKaart Pro
OnG4Qpkx MUpgrade naar KadastraleKaart Pro
BEj6 cKravUpgrade naar KadastraleKaart Pro
8 meC5wZUpgrade naar KadastraleKaart Pro
66W6ORb12iMWUpgrade naar KadastraleKaart Pro
Cl8T Z4Upgrade naar KadastraleKaart Pro
T6loF5deU6phEUpgrade naar KadastraleKaart Pro
mPxOpLdggpUpgrade naar KadastraleKaart Pro
19/09/1997

Percelen
Gebruik de zoekbalk of klik op een perceel om informatie over het perceel te bekijken.