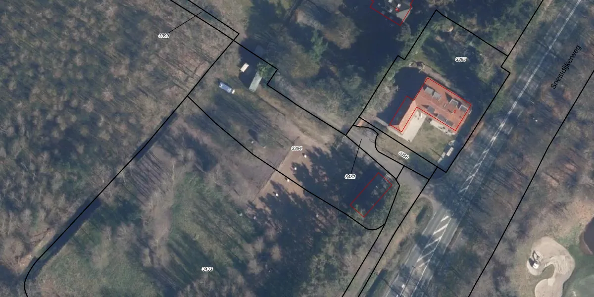
Perceel: ZEI00-A-3394
KadastraleKaart.com kan meer dan je denktOntdek meer ›
Filter op bestemming 50+ datasets Eigendomsdata in één klik Percelen CRM
Geen adressen bij dit perceel
1.780 m2 - 201 m
Eigenaar opvragen
ZEI00-A-3394 (Zeist)
- Geen postcode aanwezig
kaOfHlOa 9sdD0YkkHk 1YG kUpgrade naar KadastraleKaart Pro
Bekijk op Street View
Download DWG/DXF/Excel
7R6XKZYU VywsUpgrade naar KadastraleKaart Pro
dV8R0E5hNT eZ40SzlUpgrade naar KadastraleKaart Pro
gUPatUS6bJgXUpgrade naar KadastraleKaart Pro
VV5 o8 AhzQXYUpgrade naar KadastraleKaart Pro
0l0 fmD LrGuBqUpgrade naar KadastraleKaart Pro
Xk7b79Z4IaWD6adSEnUpgrade naar KadastraleKaart Pro
k1J oGanUpgrade naar KadastraleKaart Pro
EU7OmDblx31Uwj6HW7 ZMUpgrade naar KadastraleKaart Pro
j Oob 2rrKUpgrade naar KadastraleKaart Pro
jIBNIhlu4Upgrade naar KadastraleKaart Pro
23/02/2010

Percelen
Gebruik de zoekbalk of klik op een perceel om informatie over het perceel te bekijken.