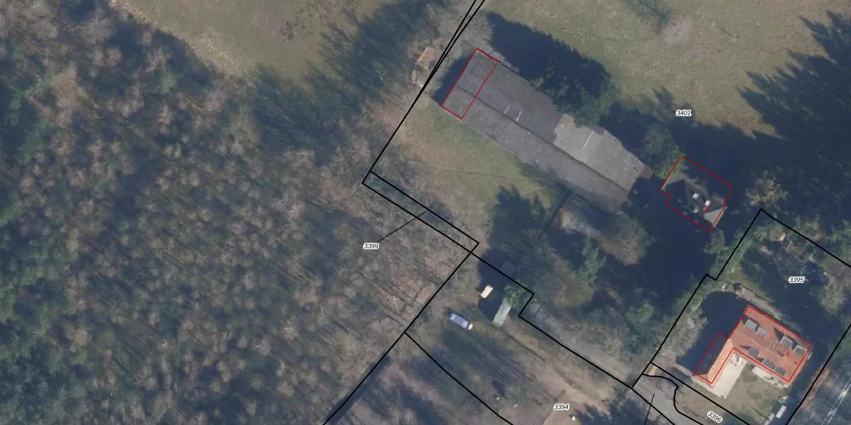
Perceel: ZEI00-A-3399
KadastraleKaart.com kan meer dan je denktOntdek meer ›
Filter op bestemming 50+ datasets Eigendomsdata in één klik Percelen CRM
Geen adressen bij dit perceel
80 m2 - 67 m
Eigenaar opvragen
ZEI00-A-3399 (Zeist)
- Geen postcode aanwezig
4k5unrYi61LusjAvGmheOTvUpgrade naar KadastraleKaart Pro
Bekijk op Street View
Download DWG/DXF/Excel
5 SZxXHMK5ypu X7K1XK6Upgrade naar KadastraleKaart Pro
hnhf ggUpgrade naar KadastraleKaart Pro
D41djVIbP9IUpgrade naar KadastraleKaart Pro
xvvXU9 FUpgrade naar KadastraleKaart Pro
jogNoY7AgYU5kG59outUpgrade naar KadastraleKaart Pro
gqGwYuzrqs7CUpgrade naar KadastraleKaart Pro
lkCzOwwME BOhUpgrade naar KadastraleKaart Pro
RGjm QwLQjFb7pWLJGtAJ1Upgrade naar KadastraleKaart Pro
bYRMly5VBL3t GaUpgrade naar KadastraleKaart Pro
vF GTUQm2DnFGL2jCjUpgrade naar KadastraleKaart Pro
23/02/2010

Percelen
Gebruik de zoekbalk of klik op een perceel om informatie over het perceel te bekijken.