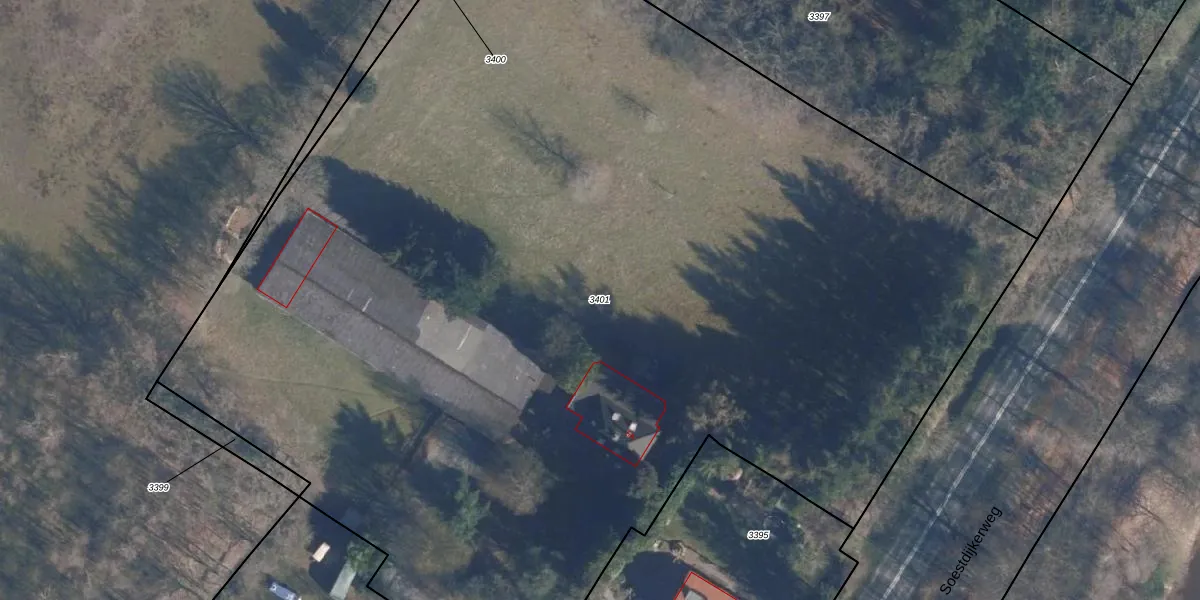
Perceel: ZEI00-A-3401
KadastraleKaart.com kan meer dan je denktOntdek meer ›
Filter op bestemming 50+ datasets Eigendomsdata in één klik Percelen CRM
9.855 m2 - 434 m
Eigenaar opvragen
ZEI00-A-3401 (Zeist)
- 3734 MG
A m5OQcoHABvWavDaUpgrade naar KadastraleKaart Pro
Bekijk op Street View
Download DWG/DXF/Excel
mM0tW0CE1A6z3qZsUpgrade naar KadastraleKaart Pro
fcGTFh62j5xsUpgrade naar KadastraleKaart Pro
JiOdWGqzk9n bBl1ff3Sy Upgrade naar KadastraleKaart Pro
xyOm7rac3RkxC1G IUpgrade naar KadastraleKaart Pro
fE65hAyZLFOPgKZn4CWxRUpgrade naar KadastraleKaart Pro
a h TCMpyOlPBcWe9Upgrade naar KadastraleKaart Pro
gkUhlhjwJomU4BzSHFeUpgrade naar KadastraleKaart Pro
wtwc C5EoWoVLKWiUpgrade naar KadastraleKaart Pro
yNvh YN Upgrade naar KadastraleKaart Pro
UTQZ2x 3XgUpgrade naar KadastraleKaart Pro
23/02/2010

Percelen
Gebruik de zoekbalk of klik op een perceel om informatie over het perceel te bekijken.