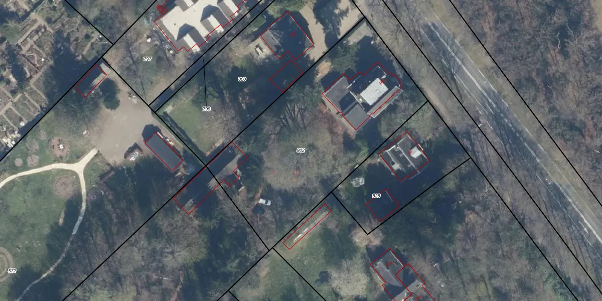
Perceel: ZEI00-F-802
KadastraleKaart.com kan meer dan je denktOntdek meer ›
Filter op bestemming 50+ datasets Eigendomsdata in één klik Percelen CRM
2.499 m2 - 215 m
Eigenaar opvragen
ZEI00-F-802 (Zeist)
- 3708 JB
jTbXE1q5nzIv5T7UUpgrade naar KadastraleKaart Pro
Verkoopprijs opvragen
Bekijk op Street View
Download DWG/DXF/Excel
jPZ0CkCxQlV63U Upgrade naar KadastraleKaart Pro
dZVZKidVnl7OKs0Upgrade naar KadastraleKaart Pro
xtAW P2UglPkE Upgrade naar KadastraleKaart Pro
Q4jNemoSaMUpgrade naar KadastraleKaart Pro
t NCh f6MSrnAKBDUpgrade naar KadastraleKaart Pro
ZgyBkh43DJLOXyUpgrade naar KadastraleKaart Pro
4zP2WUr1Fn1y 0d9wSlUpgrade naar KadastraleKaart Pro
IoGP7Dho8 tV9Upgrade naar KadastraleKaart Pro
yquMbgnEBI77ljM2ZKUpgrade naar KadastraleKaart Pro
kJkq m4dyuo13Y1CT NUpgrade naar KadastraleKaart Pro
12/03/2002

Percelen
Gebruik de zoekbalk of klik op een perceel om informatie over het perceel te bekijken.