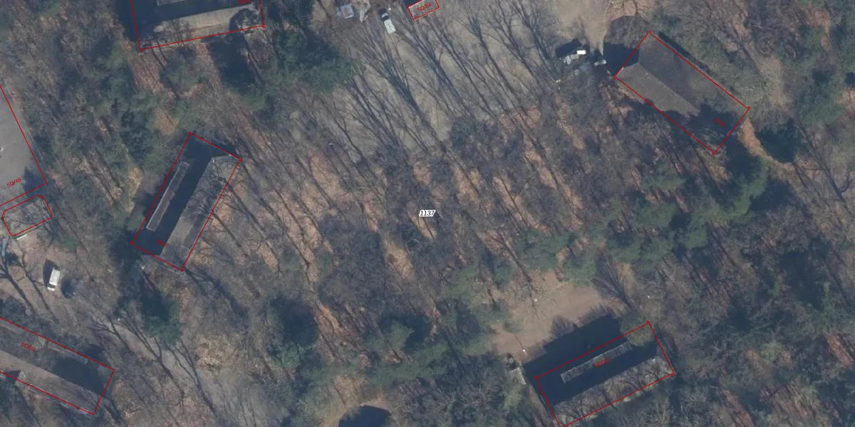
Perceel: ZEI00-K-1137
KadastraleKaart.com kan meer dan je denktOntdek meer ›
Filter op bestemming 50+ datasets Eigendomsdata in één klik Percelen CRM
136.400 m2 - 1.690 m
Eigenaar opvragen
ZEI00-K-1137 (Zeist)
- 3712 AZ
0vlSp0 LprWnjlnxUpgrade naar KadastraleKaart Pro
Bekijk op Street View
Download DWG/DXF/Excel
ak72W7wm8dt O s9vQw1nUpgrade naar KadastraleKaart Pro
WxgMqtqaJXNxLSlKTUpgrade naar KadastraleKaart Pro
pR9dCxv 6CVdyb 1d1lqhrUpgrade naar KadastraleKaart Pro
AaXK1mVjXJCuhB ZUpgrade naar KadastraleKaart Pro
5YMexyUQsbUpgrade naar KadastraleKaart Pro
jnRRnA4 wsPUpgrade naar KadastraleKaart Pro
r3blu wUpgrade naar KadastraleKaart Pro
kfJplP 4bHOHyWqaUpgrade naar KadastraleKaart Pro
l tvB0sameukMUYaUpgrade naar KadastraleKaart Pro
DfANKE3XR14ZJzZWUpgrade naar KadastraleKaart Pro
14/08/2024

Percelen
Gebruik de zoekbalk of klik op een perceel om informatie over het perceel te bekijken.