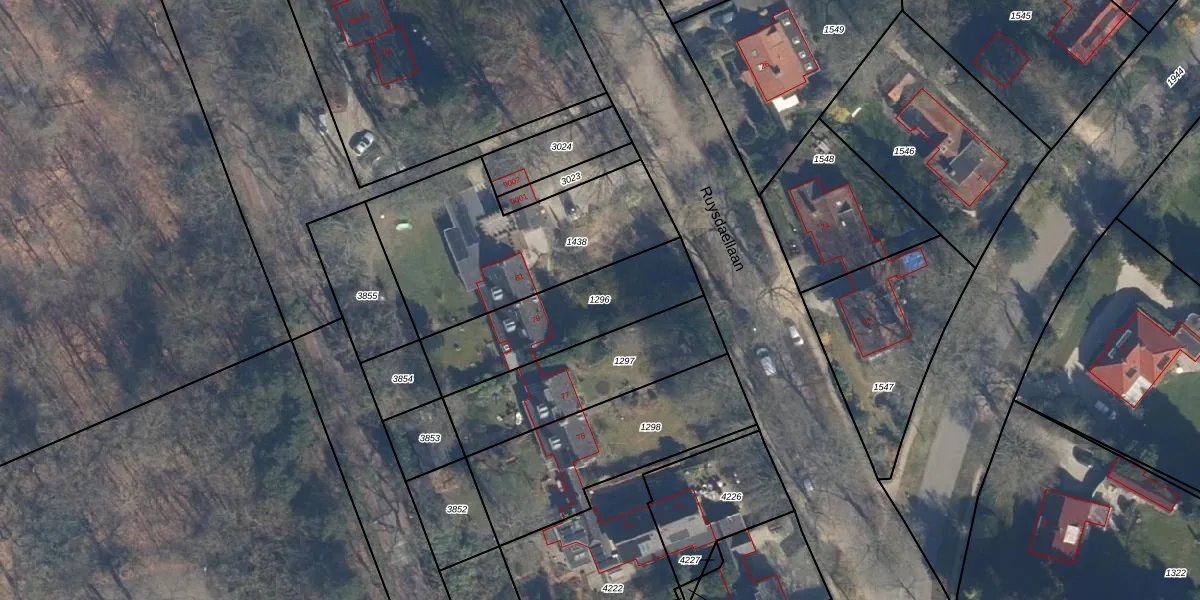
Perceel: ZEI00-K-1296
KadastraleKaart.com kan meer dan je denktOntdek meer ›
Filter op bestemming 50+ datasets Eigendomsdata in één klik Percelen CRM
490 m2 - 114 m
Eigenaar opvragen
ZEI00-K-1296 (Zeist)
- 3712 AR
jwRMLk KQ 04 m2PmpTUmxNbWcUvUpgrade naar KadastraleKaart Pro
Bekijk op Street View
Download DWG/DXF/Excel
rb qHwIcqf85XPTUR7aOQUpgrade naar KadastraleKaart Pro
e RWMq 31lFH9EUpgrade naar KadastraleKaart Pro
L x 3NXwnQQGh MgE7Upgrade naar KadastraleKaart Pro
eg2ZUDK0sHg8iw7TUpgrade naar KadastraleKaart Pro
mkgoDk45Upgrade naar KadastraleKaart Pro
n7d9CRjh YUFbErYUpgrade naar KadastraleKaart Pro
iVYUOPp YIW6Aj PN3m0jUpgrade naar KadastraleKaart Pro
T709cZ7CS3PxO2qUpcUpgrade naar KadastraleKaart Pro
CcHTIt2qcvBmP sFKeS2Upgrade naar KadastraleKaart Pro
H3vDP9JI1 uUpgrade naar KadastraleKaart Pro
18/06/2001

Percelen
Gebruik de zoekbalk of klik op een perceel om informatie over het perceel te bekijken.